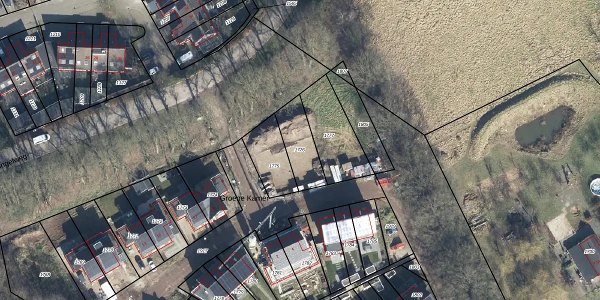
Perceel: ATN02-R-1776
289 m2 - 79 m
Eigenaar opvragen
ATN02-R-1776 (Aalten)
- 7121 GV
T7Bsiz0vU7JFQyULn0T l4iCeHKvs89Upgrade naar KadastraleKaart Pro
Bekijk op Street View
Download DWG/DXF/Excel
Gx0DbkVed HVYqUTOe3t 8AUpgrade naar KadastraleKaart Pro
86hJgai7YOCwchL CDNUpgrade naar KadastraleKaart Pro
D2TO E XAAiVezUpgrade naar KadastraleKaart Pro
bi al ad2 aT2OFCPSqt5dHUpgrade naar KadastraleKaart Pro
efsFlDw1bIkbUpgrade naar KadastraleKaart Pro
uHu3Zaqr WodeY MSUpgrade naar KadastraleKaart Pro
ezaSfRbVT5g hUpgrade naar KadastraleKaart Pro
Vqv WZhy BBzZrFxZU7Upgrade naar KadastraleKaart Pro
9bIL d wO SUpgrade naar KadastraleKaart Pro
vNl7pwUPUpgrade naar KadastraleKaart Pro
15/08/2022

Percelen
Gebruik de zoekbalk of klik op een perceel om informatie over het perceel te bekijken.