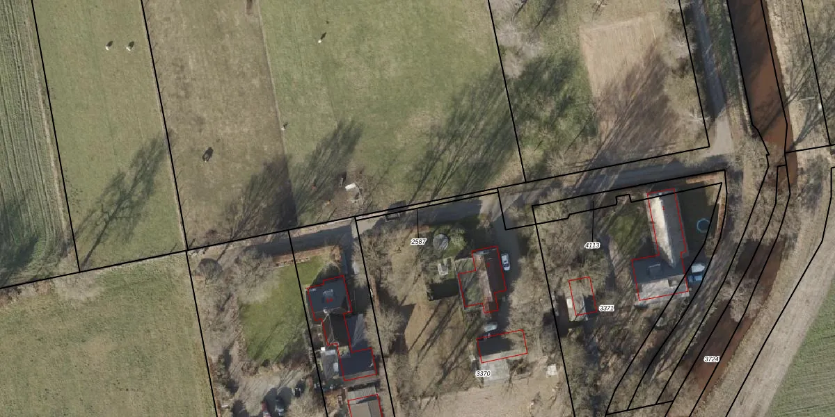
Perceel: AVE00-G-2587
KadastraleKaart.com kan meer dan je denktOntdek meer ›
Filter op bestemming 50+ datasets Eigendomsdata in één klik Percelen CRM
Geen adressen bij dit perceel
35 m2 - 72 m
Eigenaar opvragen
AVE00-G-2587 (Avereest)
- Geen postcode aanwezig
fCA0Zg8VzjtV 5qKwVVXPUpgrade naar KadastraleKaart Pro
Bekijk op Street View
Download DWG/DXF/Excel
ZLVfbURf0siUpgrade naar KadastraleKaart Pro
aPGGtV9JA Upgrade naar KadastraleKaart Pro
ZIlCwRcpzaklYtNgUpgrade naar KadastraleKaart Pro
IlrGIEO c e2uUpgrade naar KadastraleKaart Pro
jE PsUCgz27SMUSAaWUpgrade naar KadastraleKaart Pro
IkPz7iVVJJhN7PTk9Q1Upgrade naar KadastraleKaart Pro
JmnHnPK06iyrC Upgrade naar KadastraleKaart Pro
oy67qVGGXNq3qDim5Upgrade naar KadastraleKaart Pro
t4JZ 31c 2oS8zVwl7LUpgrade naar KadastraleKaart Pro
1xvV41ffkXW8Upgrade naar KadastraleKaart Pro
08/10/2002

Percelen
Gebruik de zoekbalk of klik op een perceel om informatie over het perceel te bekijken.