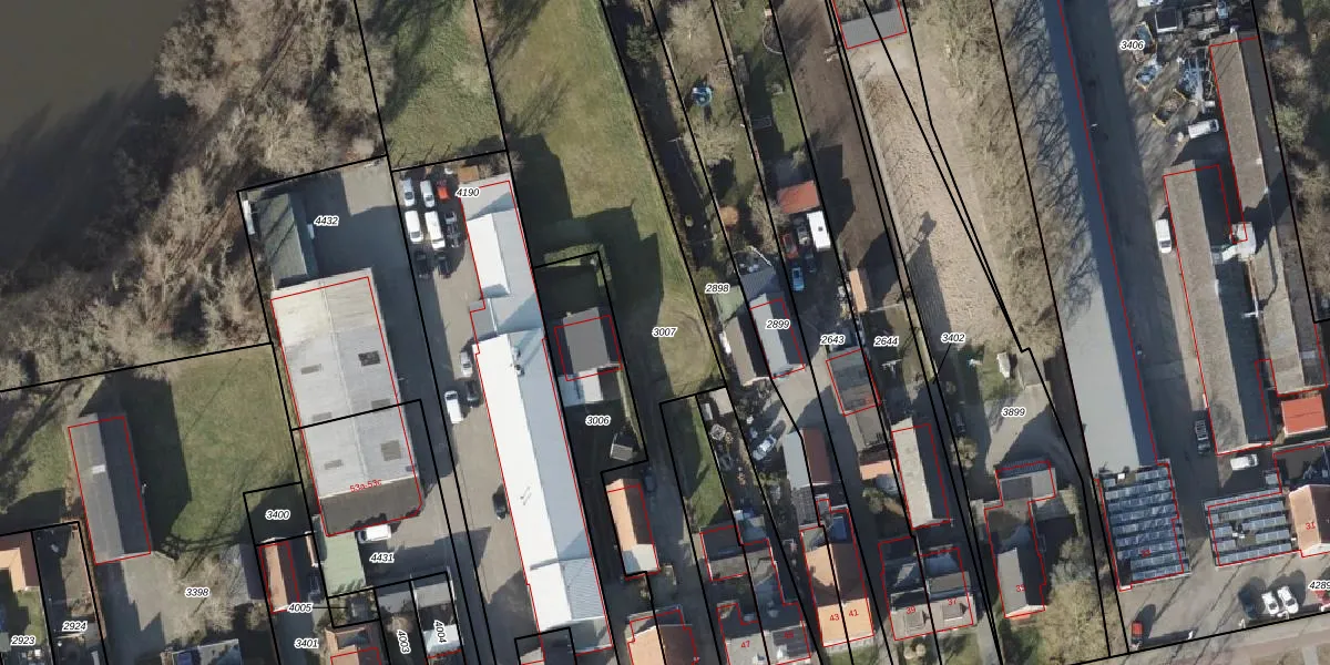
Perceel: AVE00-G-3007
KadastraleKaart.com kan meer dan je denktOntdek meer ›
Filter op bestemming 50+ datasets Eigendomsdata in één klik Percelen CRM
1.830 m2 - 318 m
Eigenaar opvragen
AVE00-G-3007 (Avereest)
- 7707 AB
VsIELDIIg3eJogJhiG5XvZJBUpgrade naar KadastraleKaart Pro
Bekijk op Street View
Download DWG/DXF/Excel
4l0RfX3 GS7NhBJ2qlmUHUpgrade naar KadastraleKaart Pro
h99JoG Upgrade naar KadastraleKaart Pro
nDRkrvZaPAhUpgrade naar KadastraleKaart Pro
GHqMsxscPYrW 2OmbLnBUpgrade naar KadastraleKaart Pro
XU7XWvcrydv0hUpgrade naar KadastraleKaart Pro
v PrWKGTVrzcI cRts0SUpgrade naar KadastraleKaart Pro
Ypy6bqpdTMdTe4yNlWKuUpgrade naar KadastraleKaart Pro
iqnK85yzNdtUFBmQ09xlUpgrade naar KadastraleKaart Pro
rpskFW0Mi2ZUpgrade naar KadastraleKaart Pro
8qx qu5N5rizG IIQUpgrade naar KadastraleKaart Pro
10/07/2002

Percelen
Gebruik de zoekbalk of klik op een perceel om informatie over het perceel te bekijken.