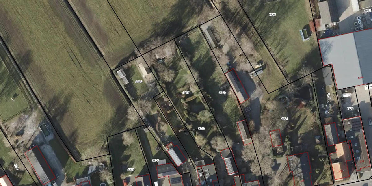
Perceel: AVE00-H-3867
KadastraleKaart.com kan meer dan je denktOntdek meer ›
Filter op bestemming 50+ datasets Eigendomsdata in één klik Percelen CRM
1.460 m2 - 219 m
Eigenaar opvragen
AVE00-H-3867 (Avereest)
- 7701 JJ
eo VpaGq3A4 r7hZ8 nOeJUYh ouUpgrade naar KadastraleKaart Pro
Bekijk op Street View
Download DWG/DXF/Excel
BCSJr11Y29fq8O3St7 OeppUpgrade naar KadastraleKaart Pro
IelKLYUI24Upgrade naar KadastraleKaart Pro
GwnNo BUpgrade naar KadastraleKaart Pro
BEa4tMidxSUpgrade naar KadastraleKaart Pro
3jx6XouPYLiGgW3sm2EXjNUpgrade naar KadastraleKaart Pro
TPzbfDozMCfuDEUpgrade naar KadastraleKaart Pro
SQfhBdvJKxwpNR Upgrade naar KadastraleKaart Pro
OaQeLtAiHBFU Upgrade naar KadastraleKaart Pro
Xj P xVeEVUpgrade naar KadastraleKaart Pro
hA1UUzHmbs piiUpgrade naar KadastraleKaart Pro
14/03/2001

Percelen
Gebruik de zoekbalk of klik op een perceel om informatie over het perceel te bekijken.