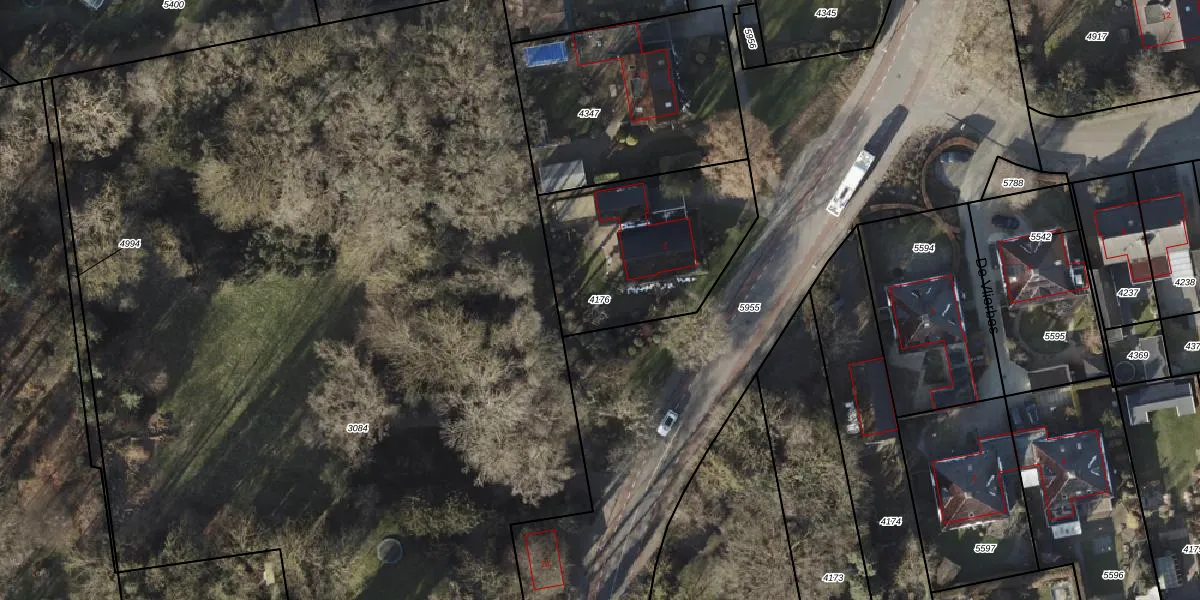
Perceel: AVE00-L-4176
KadastraleKaart.com kan meer dan je denktOntdek meer ›
Filter op bestemming 50+ datasets Eigendomsdata in één klik Percelen CRM
759 m2 - 111 m
Eigenaar opvragen
AVE00-L-4176 (Avereest)
- 7701 VV
QE1kZmWfpid3AGfaS96uuDw8iyUpgrade naar KadastraleKaart Pro
Verkoopprijs opvragen
Bekijk op Street View
Download DWG/DXF/Excel
Rd8W1ywVq9e 7 qgUpgrade naar KadastraleKaart Pro
eODHj1WC3QUpgrade naar KadastraleKaart Pro
04EybzPg54Z1dtcLoO6MUpgrade naar KadastraleKaart Pro
EAMEZ8htn2hprjUpgrade naar KadastraleKaart Pro
9WHmNOI22gQLrIg iPCeUpgrade naar KadastraleKaart Pro
U 0fhG lqZ 2 wy kG32Upgrade naar KadastraleKaart Pro
uIvG3QC7p89 5A2UGp3 hQUpgrade naar KadastraleKaart Pro
ct ndA1BNWCBfeEUpgrade naar KadastraleKaart Pro
D D pGy50Upgrade naar KadastraleKaart Pro
xJ9OqTN1R9Xw roaS8FUpgrade naar KadastraleKaart Pro
06/12/2006

Percelen
Gebruik de zoekbalk of klik op een perceel om informatie over het perceel te bekijken.