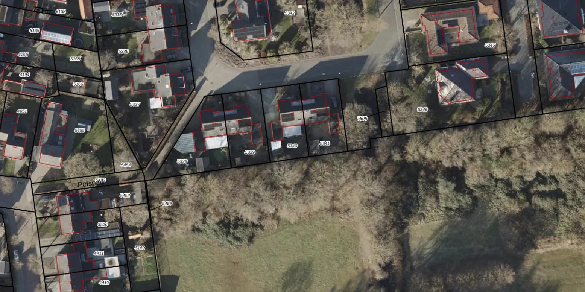
Perceel: AVE00-L-5340
KadastraleKaart.com kan meer dan je denktOntdek meer ›
Filter op bestemming 50+ datasets Eigendomsdata in één klik Percelen CRM
339 m2 - 77 m
Eigenaar opvragen
AVE00-L-5340 (Avereest)
- 7701 NC
G wsQK2ev Fv5KiS DcpLOUpgrade naar KadastraleKaart Pro
Verkoopprijs opvragen
Bekijk op Street View
Download DWG/DXF/Excel
T4HcQH44inA7CLz Upgrade naar KadastraleKaart Pro
YYKHp4B feUpgrade naar KadastraleKaart Pro
lBhwp6CjUpgrade naar KadastraleKaart Pro
S2 en LxeIYraUpgrade naar KadastraleKaart Pro
bBSJFCTHpqp41kmhhVUpgrade naar KadastraleKaart Pro
KnwdXyMWR xUpgrade naar KadastraleKaart Pro
0ZWJyE8VRfwO BDH9mUpgrade naar KadastraleKaart Pro
MaCjTx8GfveUpgrade naar KadastraleKaart Pro
LrYnStN9rG THrMNP aj2Upgrade naar KadastraleKaart Pro
1ebAHIjyJUpgrade naar KadastraleKaart Pro
24/09/2002

Percelen
Gebruik de zoekbalk of klik op een perceel om informatie over het perceel te bekijken.