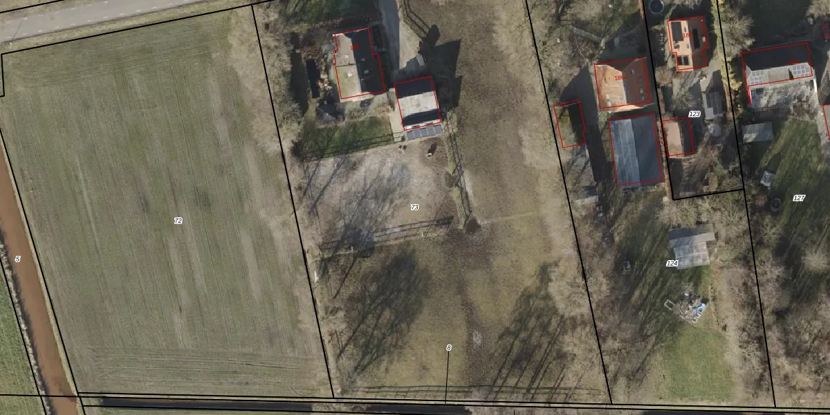
Perceel: AVE00-N-73
KadastraleKaart.com kan meer dan je denktOntdek meer ›
Filter op bestemming 50+ datasets Eigendomsdata in één klik Percelen CRM
6.905 m2 - 341 m
Eigenaar opvragen
AVE00-N-73 (Avereest)
- 7707 AN
2swo 44E4nPgtyiDoklub2 Upgrade naar KadastraleKaart Pro
Verkoopprijs opvragen
Bekijk op Street View
Download DWG/DXF/Excel
98kfw BIPwb7GSO bUpgrade naar KadastraleKaart Pro
fJHq1LGS VbcjtXv82qWUpgrade naar KadastraleKaart Pro
RQVA IRtSiUpgrade naar KadastraleKaart Pro
3mMapumbp5P Upgrade naar KadastraleKaart Pro
Tq DMOHpYg IXY ftx3 Upgrade naar KadastraleKaart Pro
e FqK 3 LD6Sj3BkLlUpgrade naar KadastraleKaart Pro
sIp3yopUjrVV9doVOU2wnEUpgrade naar KadastraleKaart Pro
9ifrzRPTuuUpgrade naar KadastraleKaart Pro
ZjY2es9tUpgrade naar KadastraleKaart Pro
cuNSyvD1 Hq8Upgrade naar KadastraleKaart Pro
13/08/2002

Percelen
Gebruik de zoekbalk of klik op een perceel om informatie over het perceel te bekijken.