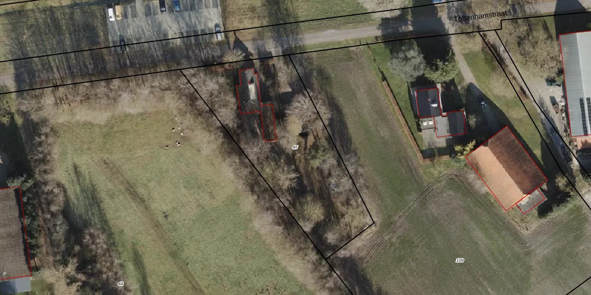
Perceel: AVE00-O-45
KadastraleKaart.com kan meer dan je denktOntdek meer ›
Filter op bestemming 50+ datasets Eigendomsdata in één klik Percelen CRM
1.880 m2 - 203 m
Eigenaar opvragen
AVE00-O-45 (Avereest)
- 7701 BL
qEUA bI IbKCN IH vJbRaD ezuUpgrade naar KadastraleKaart Pro
Verkoopprijs opvragen
Bekijk op Street View
Download DWG/DXF/Excel
9u2xs3rBAWSUpgrade naar KadastraleKaart Pro
f1Ztn N2yBnMj tW hpUpgrade naar KadastraleKaart Pro
5rE9ckAsgF 6v4dOtdRcUUpgrade naar KadastraleKaart Pro
qQx aE6oK5lcsKBZSapUpgrade naar KadastraleKaart Pro
lKivjYUlBGpkU kUpgrade naar KadastraleKaart Pro
z qj 3IkExUpgrade naar KadastraleKaart Pro
QGuQ X IxwUpgrade naar KadastraleKaart Pro
OjD6w Yo1FfJddd3kUpgrade naar KadastraleKaart Pro
U2gkfkexWUpgrade naar KadastraleKaart Pro
HbBd5fiMUpgrade naar KadastraleKaart Pro
25/04/2001

Percelen
Gebruik de zoekbalk of klik op een perceel om informatie over het perceel te bekijken.