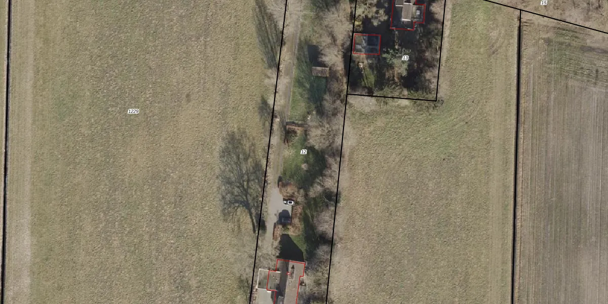
Perceel: AVE00-P-12
KadastraleKaart.com kan meer dan je denktOntdek meer ›
Filter op bestemming 50+ datasets Eigendomsdata in één klik Percelen CRM
3.748 m2 - 361 m
Eigenaar opvragen
AVE00-P-12 (Avereest)
- 7707 PE
QFGicNTfe MUaLX620Cx IUpgrade naar KadastraleKaart Pro
Bekijk op Street View
Download DWG/DXF/Excel
Dbdzzwt9MiH ksUpgrade naar KadastraleKaart Pro
ljNOyjZP SzISUpgrade naar KadastraleKaart Pro
EwW7BCDQ5FZNq0DjIlbUpgrade naar KadastraleKaart Pro
nz6FL Me mJZGylV42tDMUpgrade naar KadastraleKaart Pro
kJNYP7U6q3nrLeNIJ Upgrade naar KadastraleKaart Pro
25TCPrWaUpgrade naar KadastraleKaart Pro
hzR1cC1h76OZg Upgrade naar KadastraleKaart Pro
M9n7bE QxMTv9cfOIrhaweUpgrade naar KadastraleKaart Pro
K32cierfUpgrade naar KadastraleKaart Pro
etyy VolGMBUk1qxUpgrade naar KadastraleKaart Pro
31/01/2001

Percelen
Gebruik de zoekbalk of klik op een perceel om informatie over het perceel te bekijken.