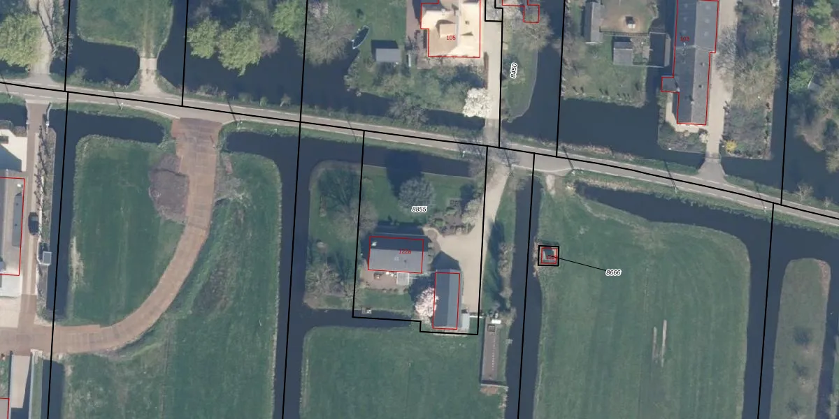
Perceel: BAB00-A-8855
1.320 m2 - 152 m
Eigenaar opvragen
BAB00-A-8855 (Bergambacht)
- 2861 LJ
LONv48v WXELgN Ikeg cqldmKjUpgrade naar KadastraleKaart Pro
Verkoopprijs opvragen
Bekijk op Street View
Download DWG/DXF/Excel
DTTeh2J8vpK9rj5Upgrade naar KadastraleKaart Pro
KEGwXHQKO4rZc wWKqH 2Upgrade naar KadastraleKaart Pro
ltuu8Wo1Y7ddqlWXR7r7EYUpgrade naar KadastraleKaart Pro
RZAKP94ph yO8 WJzgyXUpgrade naar KadastraleKaart Pro
DE1hv3z1eIJPJ4I EUpgrade naar KadastraleKaart Pro
9SW UWdljsaxLMEJhUpgrade naar KadastraleKaart Pro
1PH rcajiFL T6bm4cS B Upgrade naar KadastraleKaart Pro
IJg6z6 OxfGR2q4sFNPxXUpgrade naar KadastraleKaart Pro
3RivQtbHUpgrade naar KadastraleKaart Pro
eXdAcWYsq Upgrade naar KadastraleKaart Pro
19/01/1999

Percelen
Gebruik de zoekbalk of klik op een perceel om informatie over het perceel te bekijken.