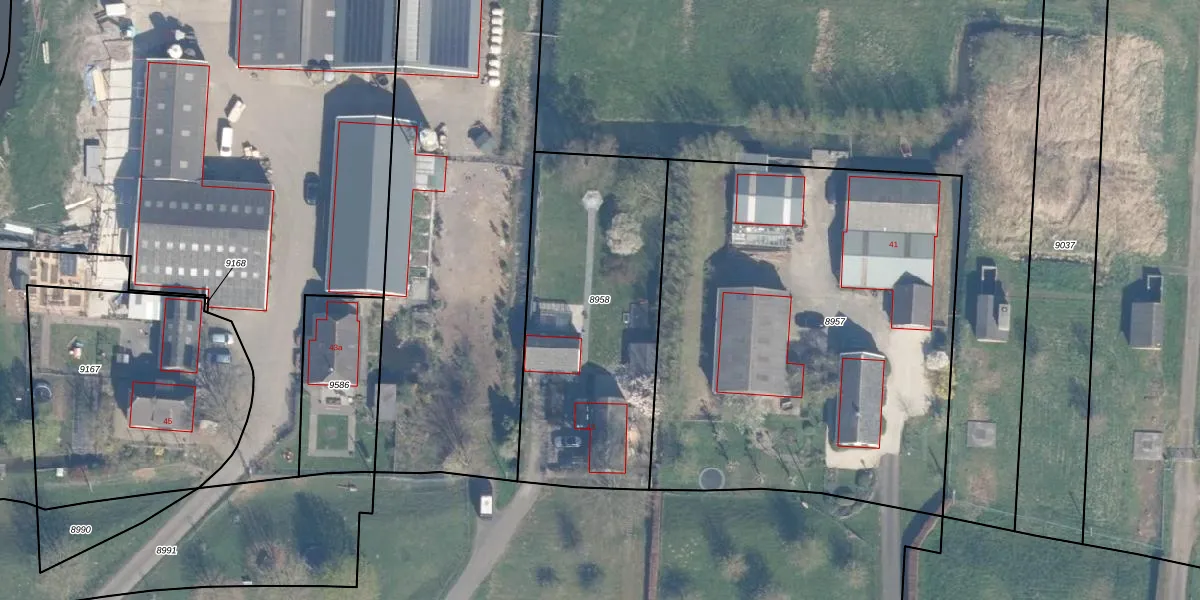
Perceel: BAB00-A-8958
1.235 m2 - 155 m
Eigenaar opvragen
BAB00-A-8958 (Bergambacht)
- 2861 ES
Py3 gqm6vF ZpalrGnM2t6sHfyG6mUpgrade naar KadastraleKaart Pro
Verkoopprijs opvragen
Bekijk op Street View
Download DWG/DXF/Excel
ruMYeaoElBb Upgrade naar KadastraleKaart Pro
ZrNVme9 Upgrade naar KadastraleKaart Pro
rbTbPDDVvHYMUI Upgrade naar KadastraleKaart Pro
vR94 JEKUpgrade naar KadastraleKaart Pro
2Nup6pzsXY2T6h0bQ 8Upgrade naar KadastraleKaart Pro
WxTcUY5CyPvo6zBsFay13kUpgrade naar KadastraleKaart Pro
GyVyfZO6qmGK klmjQ0Upgrade naar KadastraleKaart Pro
gLXai2cYJzsUpgrade naar KadastraleKaart Pro
QoLqJtM OUpgrade naar KadastraleKaart Pro
iK2Lxuq kVMfXGfYhStUpgrade naar KadastraleKaart Pro
30/08/2000

Percelen
Gebruik de zoekbalk of klik op een perceel om informatie over het perceel te bekijken.