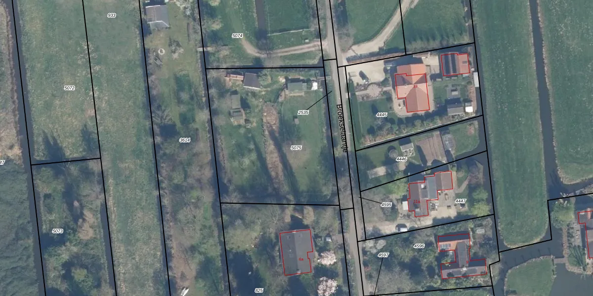
Perceel: BAB00-B-5075
Geen adressen bij dit perceel
1.790 m2 - 173 m
Eigenaar opvragen
BAB00-B-5075 (Bergambacht)
- Geen postcode aanwezig
4txpmdsmVWxYAH spAVKXUpgrade naar KadastraleKaart Pro
Bekijk op Street View
Download DWG/DXF/Excel
s Xe0sc crd5coW2SXlTwUpgrade naar KadastraleKaart Pro
6JXvHjDtap U9ZN3Upgrade naar KadastraleKaart Pro
75eivfqrqqH kzYLUpgrade naar KadastraleKaart Pro
iQLLwph1Dte4y gUpgrade naar KadastraleKaart Pro
NNQo OQPTUpgrade naar KadastraleKaart Pro
OsSLbRHtmUpgrade naar KadastraleKaart Pro
rR7riAt4PpQlCKiWSC xJ XUpgrade naar KadastraleKaart Pro
obphl xoojlVSUpgrade naar KadastraleKaart Pro
3 piKHF9eM7 yrZUpgrade naar KadastraleKaart Pro
0 YdSC5oZ1qbsZbeRotm3LDUpgrade naar KadastraleKaart Pro
28/10/2004

Percelen
Gebruik de zoekbalk of klik op een perceel om informatie over het perceel te bekijken.