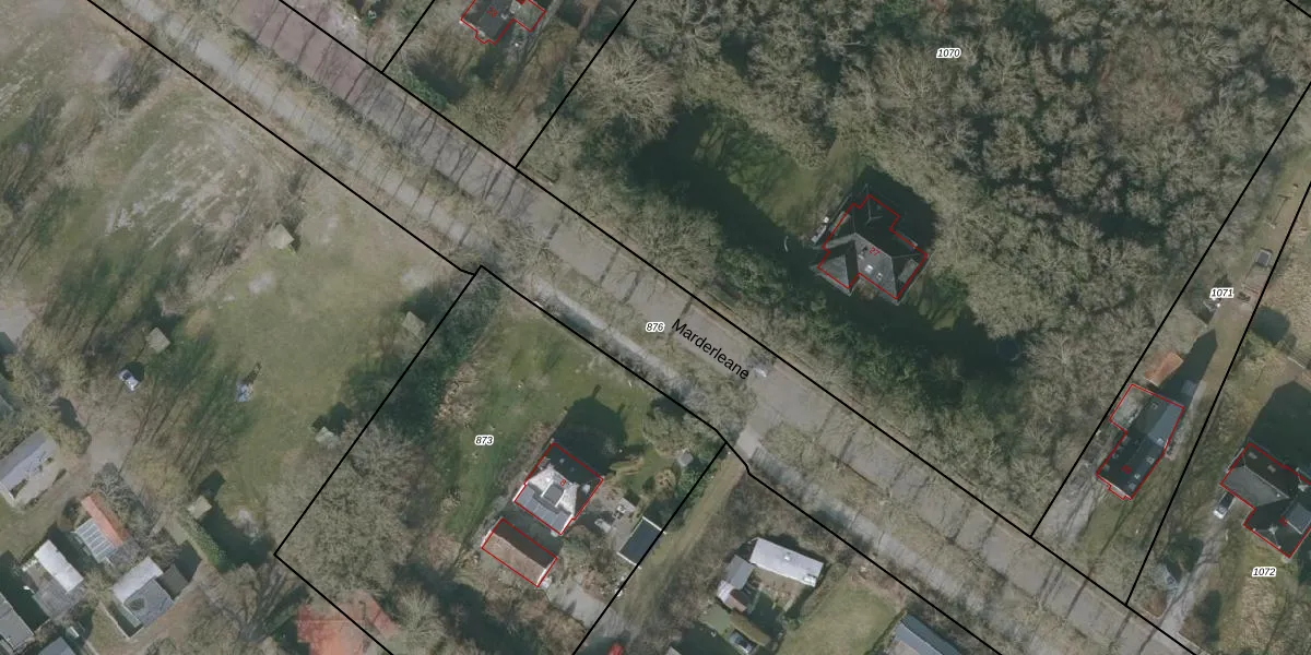
Perceel: BAL00-K-876
KadastraleKaart.com kan meer dan je denktOntdek meer ›
Filter op bestemming 50+ datasets Eigendomsdata in één klik Percelen CRM
Geen adressen bij dit perceel
8.897 m2 - 1.143 m
Eigenaar opvragen
BAL00-K-876 (Balk)
- Geen postcode aanwezig
KAanrcEKKcoBW86WiNmn ak6K1AUpgrade naar KadastraleKaart Pro
Bekijk op Street View
Download DWG/DXF/Excel
zEvAX4wfTSijZ5M nIUpgrade naar KadastraleKaart Pro
7FjixVAimHrhtd xlFKMfUpgrade naar KadastraleKaart Pro
MPHquealVh npusLcBcEUpgrade naar KadastraleKaart Pro
v1OrX6pfFpq Upgrade naar KadastraleKaart Pro
N dQFZnZ3DpDiN45Upgrade naar KadastraleKaart Pro
vf5eNRQlBx hwFUpgrade naar KadastraleKaart Pro
Ix vh1t7Upgrade naar KadastraleKaart Pro
uedV4L2 tr XgeUpgrade naar KadastraleKaart Pro
IR7PFjFTWatDSbk C6w5Upgrade naar KadastraleKaart Pro
jX4V573D0Upgrade naar KadastraleKaart Pro
09/12/2010

Percelen
Gebruik de zoekbalk of klik op een perceel om informatie over het perceel te bekijken.