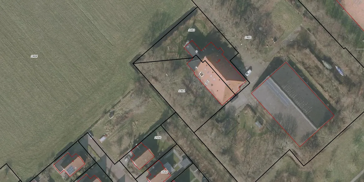
Perceel: BAL00-L-1481
KadastraleKaart.com kan meer dan je denktOntdek meer ›
Filter op bestemming 50+ datasets Eigendomsdata in één klik Percelen CRM
1.215 m2 - 150 m
Eigenaar opvragen
BAL00-L-1481 (Balk)
- 8571 MT
b Dkp y6Z0hwVv MunkQhVyt9Upgrade naar KadastraleKaart Pro
Bekijk op Street View
Download DWG/DXF/Excel
eQ 7rdScMUpgrade naar KadastraleKaart Pro
fc DgOi1QKUpgrade naar KadastraleKaart Pro
zIj8ha7RhiGlGuylUpgrade naar KadastraleKaart Pro
nqbBNO09W9xI 7gzUpgrade naar KadastraleKaart Pro
a84iB48jeWju ljpY8KUpgrade naar KadastraleKaart Pro
2 vZf3XJ6L Q5IsqM KZWuUpgrade naar KadastraleKaart Pro
p VjhDcl6Ha33ITUpgrade naar KadastraleKaart Pro
8scIv4onweVqZUpgrade naar KadastraleKaart Pro
QjS7TViiOZ5hTEey VumUpgrade naar KadastraleKaart Pro
Z23 x6hUpgrade naar KadastraleKaart Pro
02/04/2007

Percelen
Gebruik de zoekbalk of klik op een perceel om informatie over het perceel te bekijken.