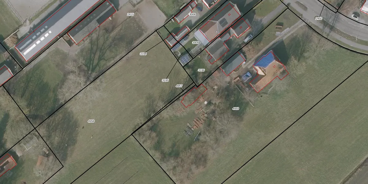
Perceel: BAL00-M-4957
KadastraleKaart.com kan meer dan je denktOntdek meer ›
Filter op bestemming 50+ datasets Eigendomsdata in één klik Percelen CRM
Geen adressen bij dit perceel
40 m2 - 90 m
Eigenaar opvragen
BAL00-M-4957 (Balk)
- Geen postcode aanwezig
QYcKsAgpHxTnhXW1Q3Upgrade naar KadastraleKaart Pro
Bekijk op Street View
Download DWG/DXF/Excel
weLRD7ymwRN2c1h4PrUpgrade naar KadastraleKaart Pro
jSP7HXxasUpgrade naar KadastraleKaart Pro
V nSuHyrXFFBb Upgrade naar KadastraleKaart Pro
hrbthnHcOOVUPWOtOxUpgrade naar KadastraleKaart Pro
4QI9c5 Vt7qNkUpgrade naar KadastraleKaart Pro
08fADk 5FZ5d 6zs Upgrade naar KadastraleKaart Pro
2 Ef3L9vDCWSal2nSQG4Upgrade naar KadastraleKaart Pro
NhGUcvDtr56Tax FQKSUpgrade naar KadastraleKaart Pro
2lQERstG6Upgrade naar KadastraleKaart Pro
BgsK byUpgrade naar KadastraleKaart Pro
25/06/2024

Percelen
Gebruik de zoekbalk of klik op een perceel om informatie over het perceel te bekijken.