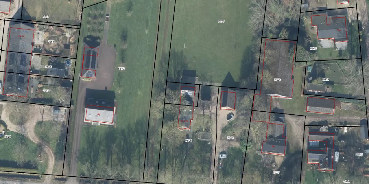
Perceel: BBG01-A-7607
215 m2 - 60 m
Eigenaar opvragen
BBG01-A-7607 (Beekbergen)
- 7381 BA
gdIk5QEex G8THDk 19AlhxKIUpgrade naar KadastraleKaart Pro
Bekijk op Street View
Download DWG/DXF/Excel
nPUE2OiTJ51NIGUpgrade naar KadastraleKaart Pro
1I1OaEZa3b MtDnEu ErMUCUpgrade naar KadastraleKaart Pro
hwzEHZ1HuUpgrade naar KadastraleKaart Pro
c7F7ynzk oL2l98T Upgrade naar KadastraleKaart Pro
bAjpl4EjLGS oectUpgrade naar KadastraleKaart Pro
F36ULT80 ujUpgrade naar KadastraleKaart Pro
ddaKVOURby1Upgrade naar KadastraleKaart Pro
UlDAfCwEPrgYiUpgrade naar KadastraleKaart Pro
uTY8b SMEUpgrade naar KadastraleKaart Pro
f3PmRkF HnlUy1z9bf1goRsUpgrade naar KadastraleKaart Pro
18/04/2019

Percelen
Gebruik de zoekbalk of klik op een perceel om informatie over het perceel te bekijken.