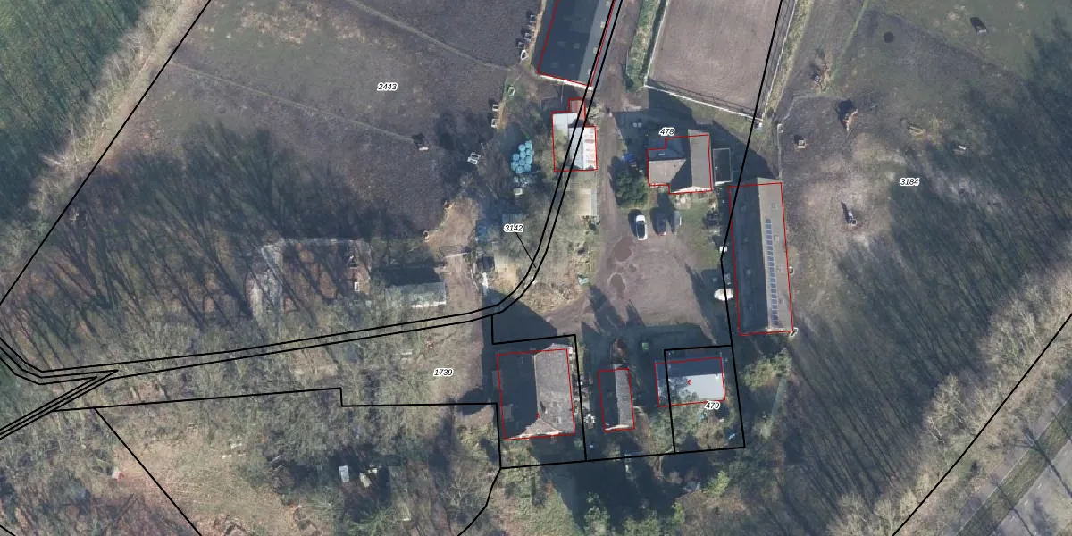
Perceel: BBG01-C-3142
KadastraleKaart.com kan meer dan je denktOntdek meer ›
Filter op bestemming 50+ datasets Eigendomsdata in één klik Percelen CRM
Geen adressen bij dit perceel
650 m2 - 654 m
Eigenaar opvragen
BBG01-C-3142 (Beekbergen)
- Geen postcode aanwezig
tRsq IFgmiIazJ e6aEI69d zkpUpgrade naar KadastraleKaart Pro
Bekijk op Street View
Download DWG/DXF/Excel
URUP5 jzF 4cUpgrade naar KadastraleKaart Pro
WAEqS4N90eireU UUpgrade naar KadastraleKaart Pro
hvqIySjgbLcUpgrade naar KadastraleKaart Pro
rtm4ZoMO kOPy4uLJ1 Upgrade naar KadastraleKaart Pro
wC40 T 5E2Upgrade naar KadastraleKaart Pro
48EoXyE Qx38R owBp57Upgrade naar KadastraleKaart Pro
CI32y4 dAE gRrmbQvrsAUpgrade naar KadastraleKaart Pro
k cV26sbwejnYBUpgrade naar KadastraleKaart Pro
JqIiVKay5QFVekaUpgrade naar KadastraleKaart Pro
i jxx ZJPKRHO1eOT7XwUpgrade naar KadastraleKaart Pro
08/07/2003

Percelen
Gebruik de zoekbalk of klik op een perceel om informatie over het perceel te bekijken.