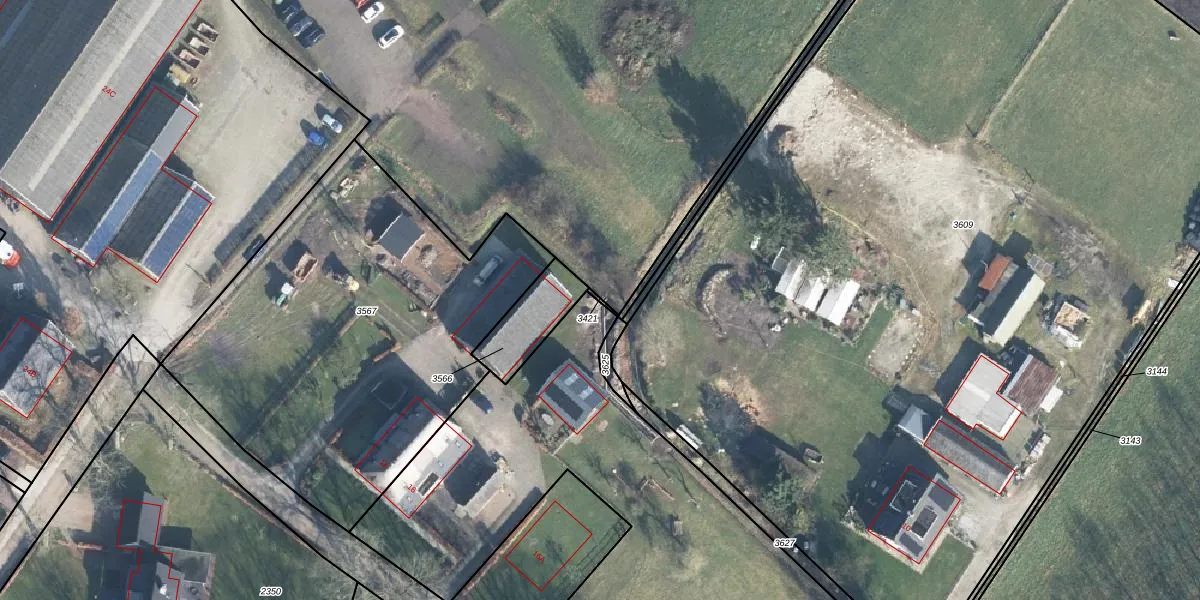
Perceel: BBG01-C-3421
KadastraleKaart.com kan meer dan je denktOntdek meer ›
Filter op bestemming 50+ datasets Eigendomsdata in één klik Percelen CRM
Geen adressen bij dit perceel
5 m2 - 14 m
Eigenaar opvragen
BBG01-C-3421 (Beekbergen)
- Geen postcode aanwezig
mNTpOXdR7AbtKgY4hU bsx TEpUpgrade naar KadastraleKaart Pro
Bekijk op Street View
Download DWG/DXF/Excel
tGOLIBYrUpgrade naar KadastraleKaart Pro
0MtHCEyLUpgrade naar KadastraleKaart Pro
EaZ4I t vqUpgrade naar KadastraleKaart Pro
bfEIKcKer Upgrade naar KadastraleKaart Pro
FIAMcE Yn SF23qkc3jL FaUpgrade naar KadastraleKaart Pro
4G8EVHg CE5Upgrade naar KadastraleKaart Pro
hfDFDSVOWiiHVdUpgrade naar KadastraleKaart Pro
S3CCPt z QvzFcNMaUpgrade naar KadastraleKaart Pro
JwYj3wVBb4P6ZMH33u8gFueUpgrade naar KadastraleKaart Pro
YZPOzE wUpgrade naar KadastraleKaart Pro
23/11/2023

Percelen
Gebruik de zoekbalk of klik op een perceel om informatie over het perceel te bekijken.