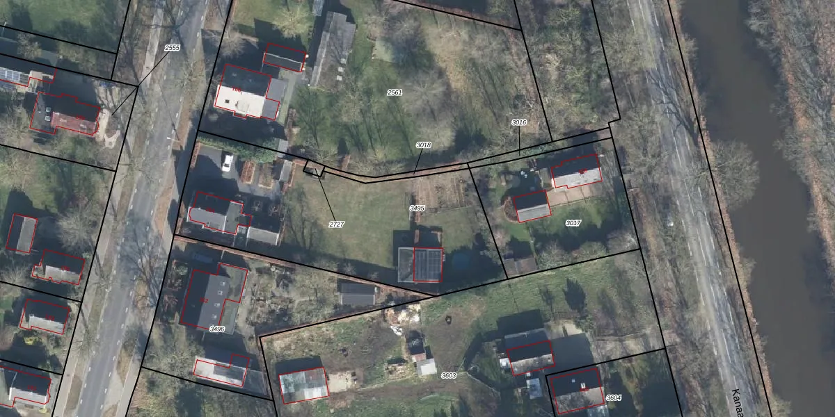
Perceel: BBG01-C-3495
KadastraleKaart.com kan meer dan je denktOntdek meer ›
Filter op bestemming 50+ datasets Eigendomsdata in één klik Percelen CRM
1.830 m2 - 208 m
Eigenaar opvragen
BBG01-C-3495 (Beekbergen)
- 7371 GJ
xxV sXVZoSlbpR43KaUHKCDUpgrade naar KadastraleKaart Pro
Verkoopprijs opvragen
Bekijk op Street View
Download DWG/DXF/Excel
S5pfHw9pKUpgrade naar KadastraleKaart Pro
18nSEWiRNymy9HUpgrade naar KadastraleKaart Pro
78aQDXYZGSwRvQ Y6GE aChUpgrade naar KadastraleKaart Pro
DYfop8yF PNywvJmVH9CUpgrade naar KadastraleKaart Pro
aLN 2oMp pt0ZHouE T uOUpgrade naar KadastraleKaart Pro
ikrQSDc3aZt8N5pncR LFkJUpgrade naar KadastraleKaart Pro
WBVmNyHk9JPxQJ86mUpgrade naar KadastraleKaart Pro
Bn RRUb3jinzjUpgrade naar KadastraleKaart Pro
yv 9T b6IBUa0Go4TIQF BjUpgrade naar KadastraleKaart Pro
PhP6oc bBxM7Upgrade naar KadastraleKaart Pro
11/06/2012

Percelen
Gebruik de zoekbalk of klik op een perceel om informatie over het perceel te bekijken.