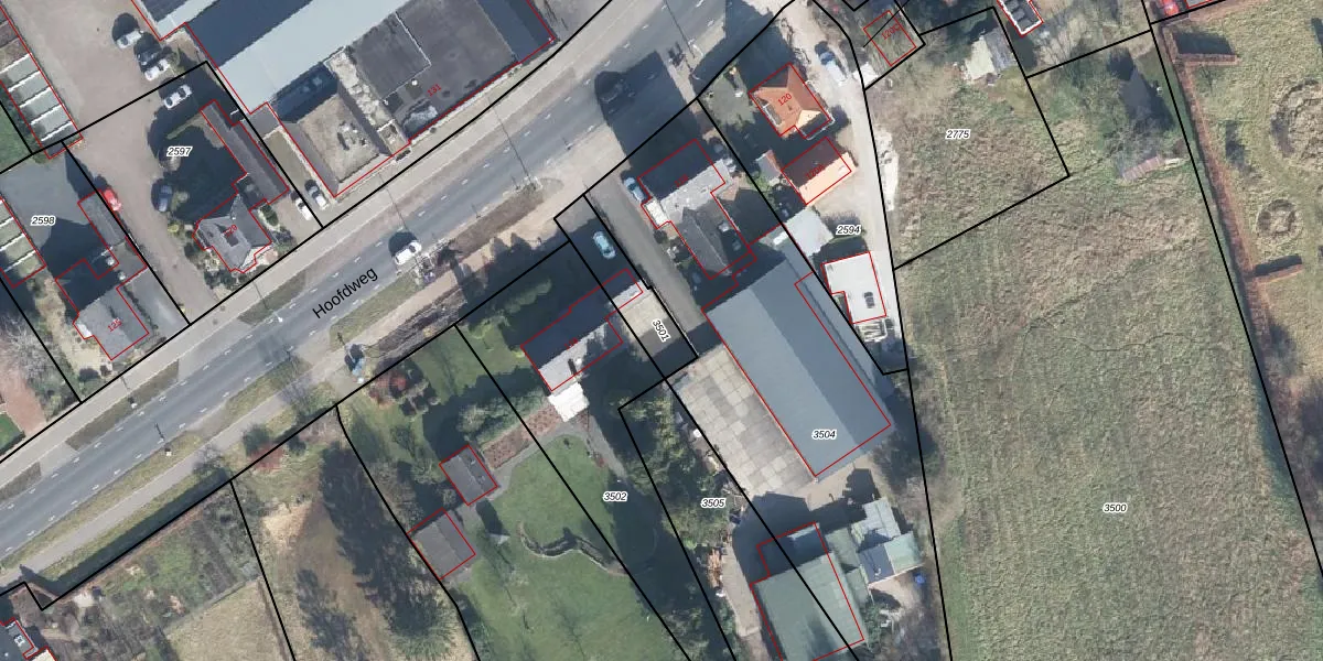
Perceel: BBG01-C-3501
KadastraleKaart.com kan meer dan je denktOntdek meer ›
Filter op bestemming 50+ datasets Eigendomsdata in één klik Percelen CRM
Geen adressen bij dit perceel
175 m2 - 72 m
Eigenaar opvragen
BBG01-C-3501 (Beekbergen)
- Geen postcode aanwezig
QSxFrdHYDze4Wud5Upgrade naar KadastraleKaart Pro
Bekijk op Street View
Download DWG/DXF/Excel
46aLxZDP NUpgrade naar KadastraleKaart Pro
dVHeD1bT3L68Upgrade naar KadastraleKaart Pro
XtN0KHD n4x5zXBdUpgrade naar KadastraleKaart Pro
M3xGUd tvvV K7eCUpgrade naar KadastraleKaart Pro
BH iU5O93lgUpgrade naar KadastraleKaart Pro
czordvhumUpgrade naar KadastraleKaart Pro
Y QRnJ TKtRy aLbtEU7Upgrade naar KadastraleKaart Pro
SYmsnsIHl T6EL Upgrade naar KadastraleKaart Pro
PFLcWYrxUmVlWA6Upgrade naar KadastraleKaart Pro
2ta1yWhuLuzUpgrade naar KadastraleKaart Pro
01/08/2013

Percelen
Gebruik de zoekbalk of klik op een perceel om informatie over het perceel te bekijken.