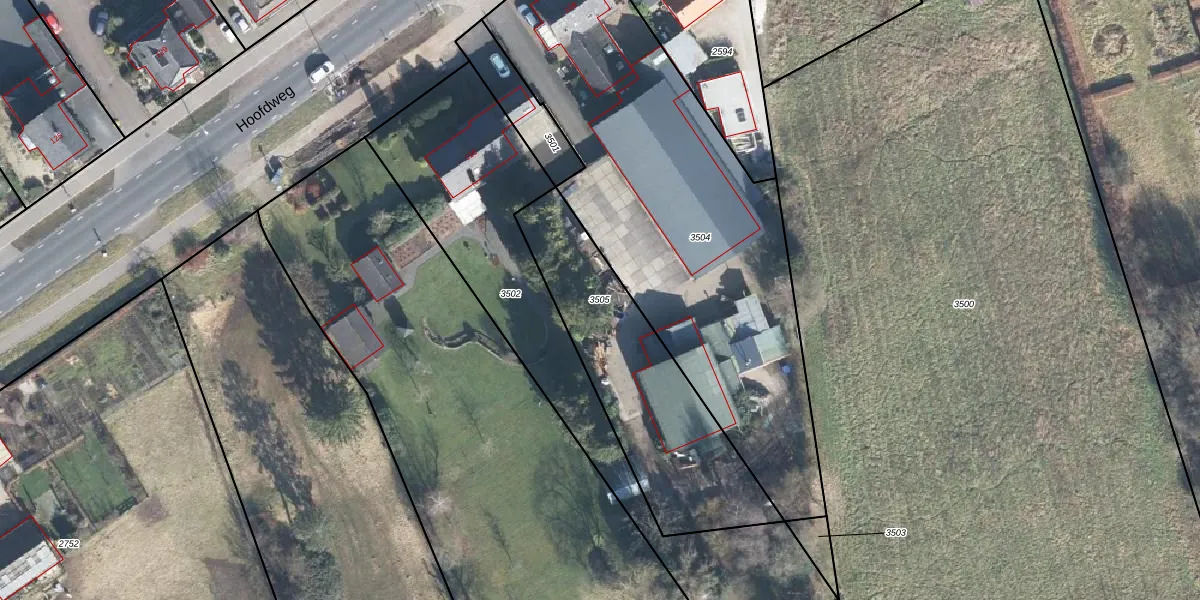
Perceel: BBG01-C-3505
KadastraleKaart.com kan meer dan je denktOntdek meer ›
Filter op bestemming 50+ datasets Eigendomsdata in één klik Percelen CRM
Geen adressen bij dit perceel
808 m2 - 156 m
Eigenaar opvragen
BBG01-C-3505 (Beekbergen)
- Geen postcode aanwezig
d4nV r2XBaEQ0c 2lUpgrade naar KadastraleKaart Pro
Bekijk op Street View
Download DWG/DXF/Excel
si76002yflAnCQwG92dUpgrade naar KadastraleKaart Pro
2k Ek2prc ZUpgrade naar KadastraleKaart Pro
r LihppgBD5Upgrade naar KadastraleKaart Pro
hIjxj1cduUkF9P6kUpgrade naar KadastraleKaart Pro
rSsE0Bhx 77aW7PbF39TUpgrade naar KadastraleKaart Pro
EFsFT8nj 7lnouUUpgrade naar KadastraleKaart Pro
mORXPH6zR6wQHgO 0Upgrade naar KadastraleKaart Pro
JOr ZfnmuLUpgrade naar KadastraleKaart Pro
ASy6vyJ9u0CWWUpgrade naar KadastraleKaart Pro
sfu luFxHSbuKUpgrade naar KadastraleKaart Pro
01/08/2013

Percelen
Gebruik de zoekbalk of klik op een perceel om informatie over het perceel te bekijken.