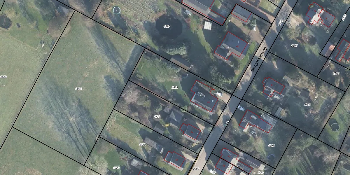
Perceel: BBG01-D-1635
KadastraleKaart.com kan meer dan je denktOntdek meer ›
Filter op bestemming 50+ datasets Eigendomsdata in één klik Percelen CRM
1.164 m2 - 153 m
Eigenaar opvragen
BBG01-D-1635 (Beekbergen)
- 7371 CV
ca KsDA7ePw0B8u29a3HAcAlUpgrade naar KadastraleKaart Pro
Verkoopprijs opvragen
Bekijk op Street View
Download DWG/DXF/Excel
ATjD7 Kp5D Upgrade naar KadastraleKaart Pro
PRTyQ2cY gUpgrade naar KadastraleKaart Pro
reJkqTcC5GXU1OUpgrade naar KadastraleKaart Pro
cB euVA 56rin7zhBOzqTUpgrade naar KadastraleKaart Pro
3ttuELI 5if Upgrade naar KadastraleKaart Pro
UAa2hpfNbGNllrSWXpUpgrade naar KadastraleKaart Pro
e1MZZlSkif Upgrade naar KadastraleKaart Pro
hRdl9 3Upgrade naar KadastraleKaart Pro
xLF78F545Tab8 jSdOenj9Upgrade naar KadastraleKaart Pro
g8k9D8QgIcGUpgrade naar KadastraleKaart Pro
19/07/2022

Percelen
Gebruik de zoekbalk of klik op een perceel om informatie over het perceel te bekijken.