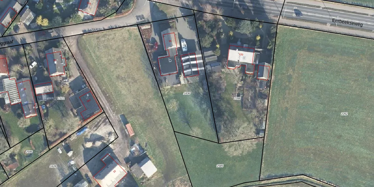
Perceel: BBG01-D-1836
KadastraleKaart.com kan meer dan je denktOntdek meer ›
Filter op bestemming 50+ datasets Eigendomsdata in één klik Percelen CRM
1.660 m2 - 186 m
Eigenaar opvragen
BBG01-D-1836 (Beekbergen)
- 7371 CX
Tm7IhmoXAy J47tICUpgrade naar KadastraleKaart Pro
Verkoopprijs opvragen
Bekijk op Street View
Download DWG/DXF/Excel
kEE4AryxPVSUpgrade naar KadastraleKaart Pro
zA59xx1U chfIi5KxYqcUpgrade naar KadastraleKaart Pro
hEjO4fDCWfL QeKlUpgrade naar KadastraleKaart Pro
dadM9bCe ZFmYItYkeDUpgrade naar KadastraleKaart Pro
bO0Yb5CbfpiPw8Cnp i6yUpgrade naar KadastraleKaart Pro
Z 1kN cGiuK hUpgrade naar KadastraleKaart Pro
IQgua3IBmMjnRbgvo 7Upgrade naar KadastraleKaart Pro
lH7GNxrlVITmv 5DUpgrade naar KadastraleKaart Pro
yPqI6zqq XkKe HlRO4lKnKUpgrade naar KadastraleKaart Pro
r11qxWUTovyvD6HDrwUpgrade naar KadastraleKaart Pro
10/04/2003

Percelen
Gebruik de zoekbalk of klik op een perceel om informatie over het perceel te bekijken.