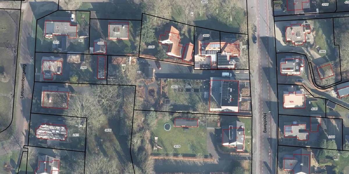
Perceel: BBG01-E-2862
KadastraleKaart.com kan meer dan je denktOntdek meer ›
Filter op bestemming 50+ datasets Eigendomsdata in één klik Percelen CRM
2.139 m2 - 227 m
Eigenaar opvragen
BBG01-E-2862 (Beekbergen)
- 7371 AC
OYA40r xEJP RuJOUpgrade naar KadastraleKaart Pro
Verkoopprijs opvragen
Bekijk op Street View
Download DWG/DXF/Excel
HKOUSh6NhN1yH5 2d r4lUpgrade naar KadastraleKaart Pro
WODv X67Upgrade naar KadastraleKaart Pro
RMcMZRTPVLFv ZEg5nRL7Upgrade naar KadastraleKaart Pro
1v6bsQXk Qf Upgrade naar KadastraleKaart Pro
mWVyasxCZWLUpgrade naar KadastraleKaart Pro
McqHlppfQVD AtBUpgrade naar KadastraleKaart Pro
C 71bE4 EUpgrade naar KadastraleKaart Pro
H2 PDwRl0Upgrade naar KadastraleKaart Pro
U7 Ckf 8jxtTe Bw hOcUpgrade naar KadastraleKaart Pro
rdZwe6u 9Upgrade naar KadastraleKaart Pro
15/12/2008

Percelen
Gebruik de zoekbalk of klik op een perceel om informatie over het perceel te bekijken.