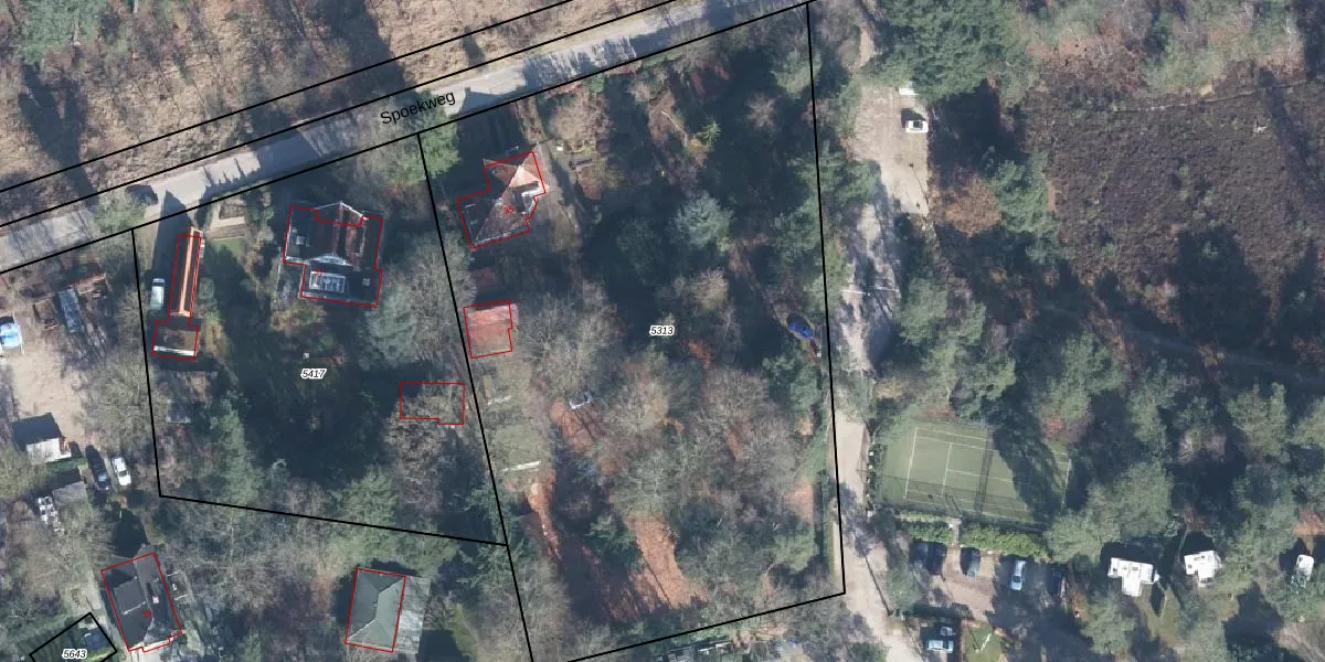
Perceel: BBG01-F-5313
KadastraleKaart.com kan meer dan je denktOntdek meer ›
Filter op bestemming 50+ datasets Eigendomsdata in één klik Percelen CRM
4.808 m2 - 283 m
Eigenaar opvragen
BBG01-F-5313 (Beekbergen)
- 7361 TM
B ldDdYK8CGjdaHpkP2Upgrade naar KadastraleKaart Pro
Verkoopprijs opvragen
Bekijk op Street View
Download DWG/DXF/Excel
n7rY81ddVNaUpgrade naar KadastraleKaart Pro
y7zB7Pf Qm5MaTPyaUpgrade naar KadastraleKaart Pro
TD p1E14ZUpgrade naar KadastraleKaart Pro
0ENTUywX7T Upgrade naar KadastraleKaart Pro
1RZe wTGncAUpgrade naar KadastraleKaart Pro
gn hbrzdUpgrade naar KadastraleKaart Pro
Wh9bCzeskDzb6 C9pUpgrade naar KadastraleKaart Pro
1r1mz7PCZtrcecQOLGHUpgrade naar KadastraleKaart Pro
brToMwjC2V8gyPIUpgrade naar KadastraleKaart Pro
Gwr5QN4AOKG6cWLcFR2FaUpgrade naar KadastraleKaart Pro
06/10/2005

Percelen
Gebruik de zoekbalk of klik op een perceel om informatie over het perceel te bekijken.