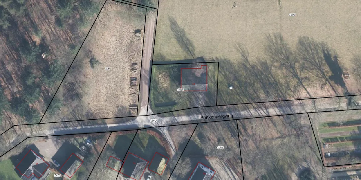
Perceel: BBG01-G-1604
KadastraleKaart.com kan meer dan je denktOntdek meer ›
Filter op bestemming 50+ datasets Eigendomsdata in één klik Percelen CRM
935 m2 - 129 m
Eigenaar opvragen
BBG01-G-1604 (Beekbergen)
- 7351 BD
5CzHodUgHdieBbpTBBu3o5EsRNUpgrade naar KadastraleKaart Pro
Bekijk op Street View
Download DWG/DXF/Excel
RRVXsOvT0 yIdIJq Upgrade naar KadastraleKaart Pro
gH5 MYzZCTUpgrade naar KadastraleKaart Pro
5YIbbvRkUpgrade naar KadastraleKaart Pro
4L recO1Upgrade naar KadastraleKaart Pro
9wy9ztA0jVYSUpgrade naar KadastraleKaart Pro
LvXF JCjGt8VIxDHSk8o tCUpgrade naar KadastraleKaart Pro
hxfbsI9h7 nHUpgrade naar KadastraleKaart Pro
no6iGEM1IHnV3Eb2d3hO0DdUpgrade naar KadastraleKaart Pro
r vy7BhYiLcAok w3rPfUpgrade naar KadastraleKaart Pro
QKiL D unvYLrUpgrade naar KadastraleKaart Pro
01/04/2003

Percelen
Gebruik de zoekbalk of klik op een perceel om informatie over het perceel te bekijken.