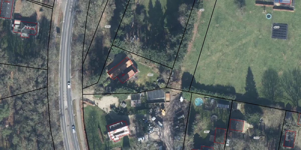
Perceel: BBG01-K-3405
KadastraleKaart.com kan meer dan je denktOntdek meer ›
Filter op bestemming 50+ datasets Eigendomsdata in één klik Percelen CRM
1.135 m2 - 154 m
Eigenaar opvragen
BBG01-K-3405 (Beekbergen)
- 7361 CK
BeK qXvqba0oO2p3sUUpgrade naar KadastraleKaart Pro
Verkoopprijs opvragen
Bekijk op Street View
Download DWG/DXF/Excel
01 1rfxC7mXn7 ybEwnrpnUpgrade naar KadastraleKaart Pro
fuAcA6yAT13cUpgrade naar KadastraleKaart Pro
GJXcfSxIcoTlFjEUpgrade naar KadastraleKaart Pro
gIC32d9JDJTrp qUpgrade naar KadastraleKaart Pro
TQBSRPmP38X HUpgrade naar KadastraleKaart Pro
1WlKgrUsbP2eNejUpgrade naar KadastraleKaart Pro
ak2xS2foMw Cl E SC4xUpgrade naar KadastraleKaart Pro
AkHnfI1vfCspk2rUpgrade naar KadastraleKaart Pro
guFoDIuKhmUpR75HopOxAjUpgrade naar KadastraleKaart Pro
YSrfGidHV 5iv16iFFJ1CglUpgrade naar KadastraleKaart Pro
15/04/2003

Percelen
Gebruik de zoekbalk of klik op een perceel om informatie over het perceel te bekijken.