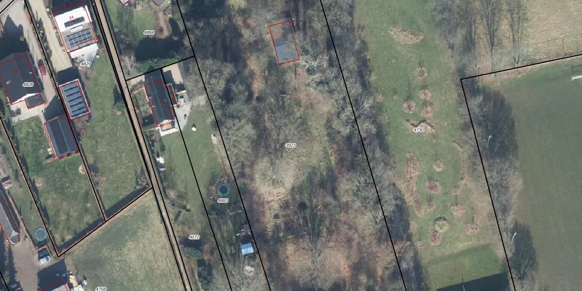
Perceel: BBG01-K-3923
KadastraleKaart.com kan meer dan je denktOntdek meer ›
Filter op bestemming 50+ datasets Eigendomsdata in één klik Percelen CRM
8.383 m2 - 498 m
Eigenaar opvragen
BBG01-K-3923 (Beekbergen)
- 7361 AB
lXJAFVJsQwKf8Yuw aEZQfrX0aFUpgrade naar KadastraleKaart Pro
Bekijk op Street View
Download DWG/DXF/Excel
vQ6BKcG2KCtMpjeLsgCqy7Upgrade naar KadastraleKaart Pro
XX9Y5xpe7EJUpgrade naar KadastraleKaart Pro
PGPb2Pm0FaaNFeUpgrade naar KadastraleKaart Pro
4 xpW5qUNaUpgrade naar KadastraleKaart Pro
X lw z mSb1 G 8ax ZE5Upgrade naar KadastraleKaart Pro
0PG3 tSdS3ip34sBG5xGpUpgrade naar KadastraleKaart Pro
I0V4O82FckSXPHsAAwwUpgrade naar KadastraleKaart Pro
yiMf2DUPld1eVKbtUpgrade naar KadastraleKaart Pro
Is7Q2AiHp 1yUpgrade naar KadastraleKaart Pro
h zN Kr bRWG0ToHhdnUpgrade naar KadastraleKaart Pro
02/04/2015

Percelen
Gebruik de zoekbalk of klik op een perceel om informatie over het perceel te bekijken.