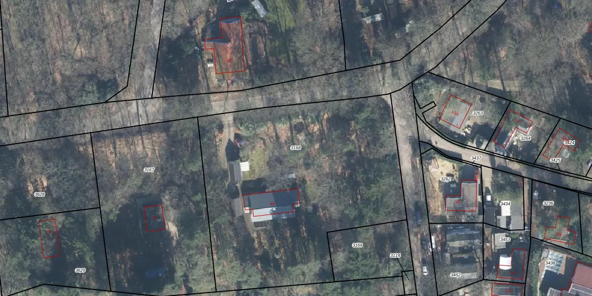
Perceel: BBG01-L-3168
KadastraleKaart.com kan meer dan je denktOntdek meer ›
Filter op bestemming 50+ datasets Eigendomsdata in één klik Percelen CRM
3.492 m2 - 253 m
Eigenaar opvragen
BBG01-L-3168 (Beekbergen)
- 7361 TE
UWFOWCsGd2AiQk4Q 8 xDUpgrade naar KadastraleKaart Pro
Verkoopprijs opvragen
Bekijk op Street View
Download DWG/DXF/Excel
IaaoHbZoUpgrade naar KadastraleKaart Pro
fBm6o s5AdVlHldSh1f nUpgrade naar KadastraleKaart Pro
SMC k bgdatIy t8YUpgrade naar KadastraleKaart Pro
fMt w5opEH Upgrade naar KadastraleKaart Pro
5JyT0Fu0x yPUpgrade naar KadastraleKaart Pro
Mc1n9nsWUndyf7J0iUpgrade naar KadastraleKaart Pro
DVP0 lkqcUpgrade naar KadastraleKaart Pro
d7 D5FKGUpgrade naar KadastraleKaart Pro
jJTHZSzojmZ9r6Wr1OUpgrade naar KadastraleKaart Pro
DNyPsucY H6TUpgrade naar KadastraleKaart Pro
19/09/2000

Percelen
Gebruik de zoekbalk of klik op een perceel om informatie over het perceel te bekijken.