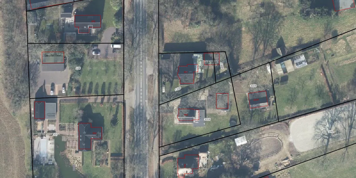
Perceel: BBG01-M-1109
KadastraleKaart.com kan meer dan je denktOntdek meer ›
Filter op bestemming 50+ datasets Eigendomsdata in één klik Percelen CRM
730 m2 - 111 m
Eigenaar opvragen
BBG01-M-1109 (Beekbergen)
- 7361 CH
NAlhibusE5mGlzNSSdtY 8jchy sUpgrade naar KadastraleKaart Pro
Verkoopprijs opvragen
Bekijk op Street View
Download DWG/DXF/Excel
TrqjhzyVH8RC whDmLUpgrade naar KadastraleKaart Pro
cyNBeP887Upgrade naar KadastraleKaart Pro
UIG3IK u37vL MWUpgrade naar KadastraleKaart Pro
GNMF5AibrEqaKfdUpgrade naar KadastraleKaart Pro
fConsp kG81d 20Cwob x5Upgrade naar KadastraleKaart Pro
aaLoWjo8P4gqRVJBUpgrade naar KadastraleKaart Pro
f GA8lR vHB8Jx6Upgrade naar KadastraleKaart Pro
q8ft fWO7Upgrade naar KadastraleKaart Pro
6RwjlIYVuK7aBND6cmTGUpgrade naar KadastraleKaart Pro
1usCqQBCU ieESdGIhAUpgrade naar KadastraleKaart Pro
07/11/2005

Percelen
Gebruik de zoekbalk of klik op een perceel om informatie over het perceel te bekijken.