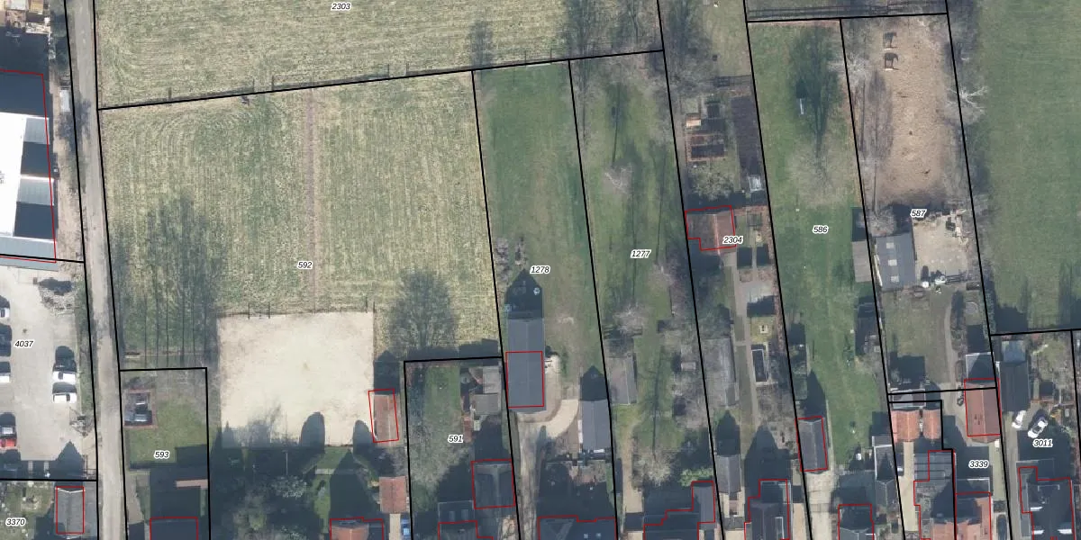
Perceel: BBG01-M-1278
KadastraleKaart.com kan meer dan je denktOntdek meer ›
Filter op bestemming 50+ datasets Eigendomsdata in één klik Percelen CRM
1.902 m2 - 241 m
Eigenaar opvragen
BBG01-M-1278 (Beekbergen)
- 7361 AT
qIg0jjMN8BYPY6kG gxAo vUpgrade naar KadastraleKaart Pro
Verkoopprijs opvragen
Bekijk op Street View
Download DWG/DXF/Excel
uvskJ ggWDS8Upgrade naar KadastraleKaart Pro
FPtoiaI pqaSg8ndTrThMUpgrade naar KadastraleKaart Pro
zjz6c9Pa6QJSIGMVgWlmzNUpgrade naar KadastraleKaart Pro
kAYP6swFFUpgrade naar KadastraleKaart Pro
VCWwITiKliRvFgPaY0NMT6Upgrade naar KadastraleKaart Pro
gBGOzc68ZsFCu9DFN1RdUpgrade naar KadastraleKaart Pro
rmx9BgVtonVaNoE Upgrade naar KadastraleKaart Pro
LCCsga 1qV87Upgrade naar KadastraleKaart Pro
UhhWyHU 3iaaERyh2SUpgrade naar KadastraleKaart Pro
Ncdgr8EqUdMvhUpgrade naar KadastraleKaart Pro
15/04/2003

Percelen
Gebruik de zoekbalk of klik op een perceel om informatie over het perceel te bekijken.