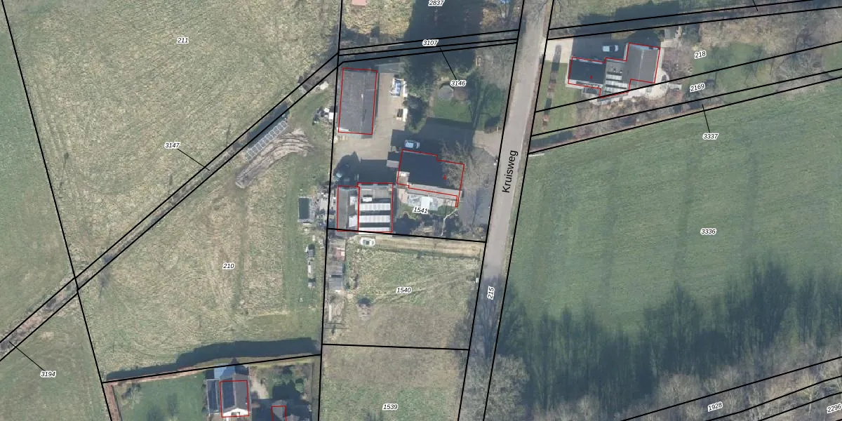
Perceel: BBG01-M-1541
KadastraleKaart.com kan meer dan je denktOntdek meer ›
Filter op bestemming 50+ datasets Eigendomsdata in één klik Percelen CRM
1.805 m2 - 168 m
Eigenaar opvragen
BBG01-M-1541 (Beekbergen)
- 7361 EB
24BtmdnP xKIYFcagrsuyYBbsiUpgrade naar KadastraleKaart Pro
Verkoopprijs opvragen
Bekijk op Street View
Download DWG/DXF/Excel
bsPb A06Ao6Upgrade naar KadastraleKaart Pro
J11ZIij9YLQKc hkUpgrade naar KadastraleKaart Pro
8yQhddDxu3vX k6G 0hXUpgrade naar KadastraleKaart Pro
LpyVB7pUCNPUpgrade naar KadastraleKaart Pro
N9HpAEU9 ImYC6bUpgrade naar KadastraleKaart Pro
F8FAkzzvmw2BlIUpgrade naar KadastraleKaart Pro
lFMlnUoVcAlQx4JXXFY7o0Upgrade naar KadastraleKaart Pro
UtazARJy9DQ3LifzeJ PfrUpgrade naar KadastraleKaart Pro
X Qy1S8MYUpgrade naar KadastraleKaart Pro
nlPJSeLp OyUpgrade naar KadastraleKaart Pro
03/06/2003

Percelen
Gebruik de zoekbalk of klik op een perceel om informatie over het perceel te bekijken.