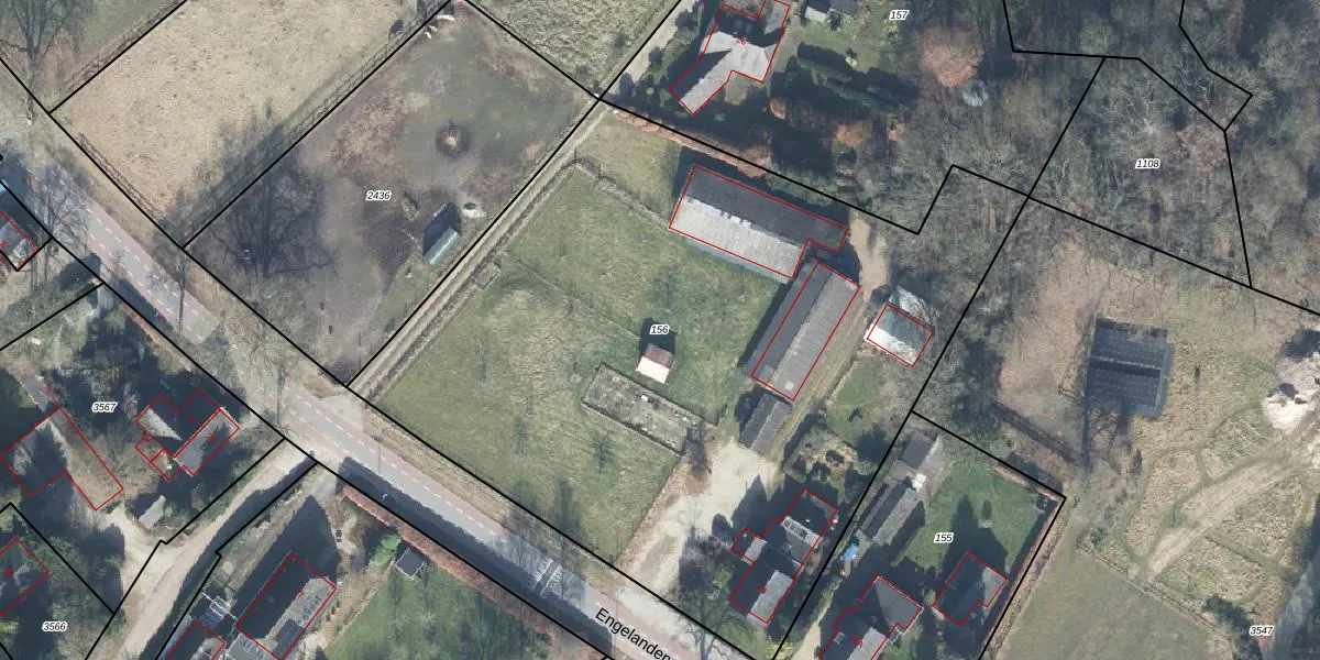
Perceel: BBG01-M-156
KadastraleKaart.com kan meer dan je denktOntdek meer ›
Filter op bestemming 50+ datasets Eigendomsdata in één klik Percelen CRM
4.600 m2 - 293 m
Eigenaar opvragen
BBG01-M-156 (Beekbergen)
- 7361 CT
FdMKMRXTZ4ozyzBLNylUpgrade naar KadastraleKaart Pro
Bekijk op Street View
Download DWG/DXF/Excel
BRLKniS2yaTS6tUIaVUpgrade naar KadastraleKaart Pro
vrfSFGE5Jzjk2HeUpgrade naar KadastraleKaart Pro
uxPgcL4 XS jdLY6TEUpgrade naar KadastraleKaart Pro
akGm0guyz3VkUpgrade naar KadastraleKaart Pro
b7k93K Kw4RK94mz6TkUpgrade naar KadastraleKaart Pro
O 0FoZOG1YiDyzipUpgrade naar KadastraleKaart Pro
9540JXjvq voVu4hUpgrade naar KadastraleKaart Pro
dhm x CJSVCSaOUUpgrade naar KadastraleKaart Pro
feIRuPakDYyWUqN0lq8SXUpgrade naar KadastraleKaart Pro
cRp Q9Crcw5Roj opfrUpgrade naar KadastraleKaart Pro
02/06/2003

Percelen
Gebruik de zoekbalk of klik op een perceel om informatie over het perceel te bekijken.