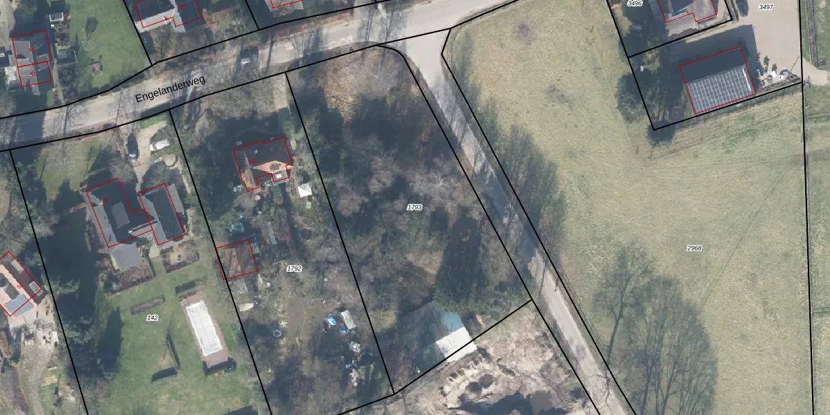
Perceel: BBG01-M-1793
KadastraleKaart.com kan meer dan je denktOntdek meer ›
Filter op bestemming 50+ datasets Eigendomsdata in één klik Percelen CRM
Geen adressen bij dit perceel
2.600 m2 - 219 m
Eigenaar opvragen
BBG01-M-1793 (Beekbergen)
- Geen postcode aanwezig
QO WFKBkkJi cYSbTTdKehUpgrade naar KadastraleKaart Pro
Bekijk op Street View
Download DWG/DXF/Excel
0z Tdgc4Upgrade naar KadastraleKaart Pro
mezDzXDPjpv8vkLqFJUpgrade naar KadastraleKaart Pro
BVWPefUpgrade naar KadastraleKaart Pro
a iBc5FAnPup980C ryUpgrade naar KadastraleKaart Pro
nrKYi79FhTRTUpgrade naar KadastraleKaart Pro
LZfkssVaccV8g2Y s3FYoUpgrade naar KadastraleKaart Pro
P5u22v5Ndw4Upgrade naar KadastraleKaart Pro
IS NHXnhWzThUpgrade naar KadastraleKaart Pro
edYrTOodxwssUpgrade naar KadastraleKaart Pro
moKEm70ROV0pYHK0k 1T ZUpgrade naar KadastraleKaart Pro
25/06/2007

Percelen
Gebruik de zoekbalk of klik op een perceel om informatie over het perceel te bekijken.