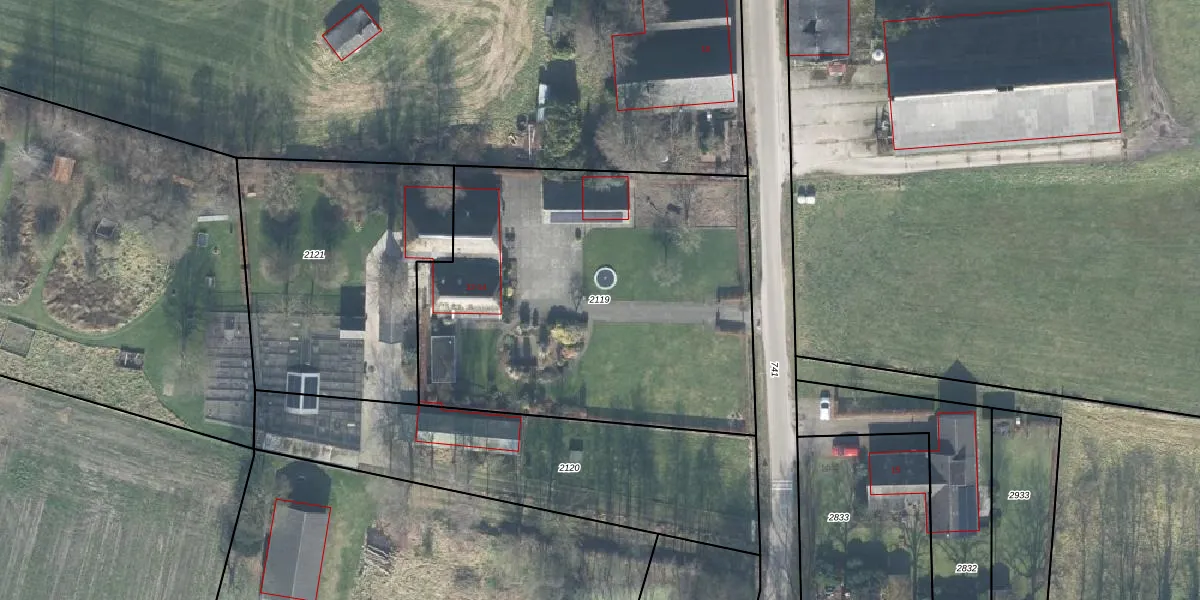
Perceel: BBG01-M-2119
KadastraleKaart.com kan meer dan je denktOntdek meer ›
Filter op bestemming 50+ datasets Eigendomsdata in één klik Percelen CRM
2.235 m2 - 195 m
Eigenaar opvragen
BBG01-M-2119 (Beekbergen)
- 7364 BZ
5aGxQ f8XDATfnaaXd FzhQU Upgrade naar KadastraleKaart Pro
Verkoopprijs opvragen
Bekijk op Street View
Download DWG/DXF/Excel
wLYVgfwsm Rk9gAxfUpgrade naar KadastraleKaart Pro
mexxY7Ui NS pfj9YUpgrade naar KadastraleKaart Pro
mB Sbsg A 3o6B7y1KSiLfXUpgrade naar KadastraleKaart Pro
MRP8GAoE MUdWCm 2RLUpgrade naar KadastraleKaart Pro
bLlQq htF Ep2BkgbUpgrade naar KadastraleKaart Pro
Lnt ZcgJPUpgrade naar KadastraleKaart Pro
gkr9 i15GcRd PglpwtppFPUpgrade naar KadastraleKaart Pro
XxEbEsVxb5Upgrade naar KadastraleKaart Pro
s20 x pLjLeiouTHXUpgrade naar KadastraleKaart Pro
zya6 TxIQUpgrade naar KadastraleKaart Pro
03/06/2003

Percelen
Gebruik de zoekbalk of klik op een perceel om informatie over het perceel te bekijken.