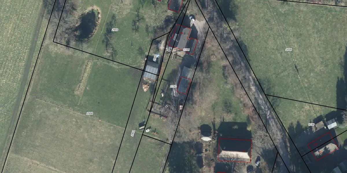
Perceel: BBG01-M-2792
KadastraleKaart.com kan meer dan je denktOntdek meer ›
Filter op bestemming 50+ datasets Eigendomsdata in één klik Percelen CRM
1.330 m2 - 196 m
Eigenaar opvragen
BBG01-M-2792 (Beekbergen)
- 7364 AN
HfHN9jrfnsN ZPfEUpgrade naar KadastraleKaart Pro
Bekijk op Street View
Download DWG/DXF/Excel
gGh6mwizRLU0b wnCUpgrade naar KadastraleKaart Pro
GE rTWM7xc5lUpgrade naar KadastraleKaart Pro
x Q7UtPcCUKkGhTrI0FUpgrade naar KadastraleKaart Pro
w Z2ZCoaf4itg d LUpgrade naar KadastraleKaart Pro
j2Kmp90Zna7CUpgrade naar KadastraleKaart Pro
lKXyZOUSAUrRqgWKs 3cZo0Upgrade naar KadastraleKaart Pro
S2 dB k5E8eMCWnQGlUpgrade naar KadastraleKaart Pro
XbBz0 gxCQwSbpUpgrade naar KadastraleKaart Pro
071 riog8nyy0g sUpgrade naar KadastraleKaart Pro
l0AsyKDmM YvK1 G cL7AD Upgrade naar KadastraleKaart Pro
19/12/2006

Percelen
Gebruik de zoekbalk of klik op een perceel om informatie over het perceel te bekijken.