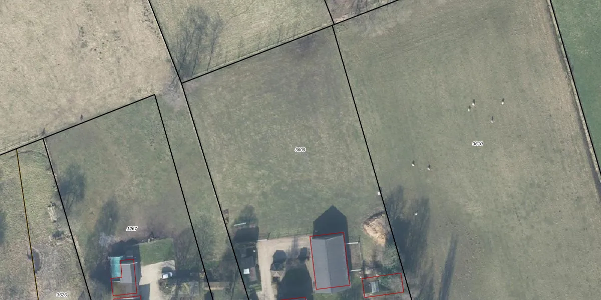
Perceel: BBG01-M-3609
KadastraleKaart.com kan meer dan je denktOntdek meer ›
Filter op bestemming 50+ datasets Eigendomsdata in één klik Percelen CRM
5.844 m2 - 327 m
Eigenaar opvragen
BBG01-M-3609 (Beekbergen)
- 7364 BK
4muJqYC5b7IVYokRKs1vijBif hpfUpgrade naar KadastraleKaart Pro
Verkoopprijs opvragen
Bekijk op Street View
Download DWG/DXF/Excel
ZTJFjaHFmuvA ael8GyfEHUpgrade naar KadastraleKaart Pro
ZQOFfmHEEbDHUpgrade naar KadastraleKaart Pro
jrXi7bcXCe3s1J tSyVUpgrade naar KadastraleKaart Pro
TAhkqXNITKBn3M4eKEGUpgrade naar KadastraleKaart Pro
FuFhygfjAfwz ZqHUpgrade naar KadastraleKaart Pro
9KIPc F T80DyNUpgrade naar KadastraleKaart Pro
IS8 GnS09G OPUpgrade naar KadastraleKaart Pro
46tOioFpUpgrade naar KadastraleKaart Pro
u37M37ppUpgrade naar KadastraleKaart Pro
dD5qUwtRWCQkxnSvrUpgrade naar KadastraleKaart Pro
05/09/2024

Percelen
Gebruik de zoekbalk of klik op een perceel om informatie over het perceel te bekijken.