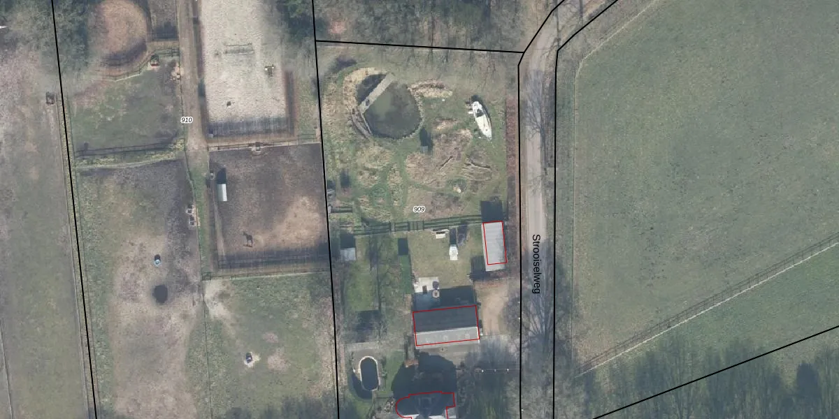
Perceel: BBG01-M-909
KadastraleKaart.com kan meer dan je denktOntdek meer ›
Filter op bestemming 50+ datasets Eigendomsdata in één klik Percelen CRM
4.900 m2 - 310 m
Eigenaar opvragen
BBG01-M-909 (Beekbergen)
- 7364 CE
0nAAG87NucjS9IYy VUpgrade naar KadastraleKaart Pro
Verkoopprijs opvragen
Bekijk op Street View
Download DWG/DXF/Excel
B 9d6u3kg t2C8q2CyUpgrade naar KadastraleKaart Pro
RR xdaLc1E0vH5mjUpgrade naar KadastraleKaart Pro
NQVuUNGBOV I7Upgrade naar KadastraleKaart Pro
5gVm0AnwGjlbsk2G Upgrade naar KadastraleKaart Pro
e O eJfx5HUpgrade naar KadastraleKaart Pro
7aZIFeH4OyWUpgrade naar KadastraleKaart Pro
uElsIeD6GnUMjleTDOi6Upgrade naar KadastraleKaart Pro
NydKAfNJ8MUpgrade naar KadastraleKaart Pro
puMqq OBPR8Z8VF1eP8AfKYUpgrade naar KadastraleKaart Pro
L00t NVWsgjwyUpgrade naar KadastraleKaart Pro
15/05/2003

Percelen
Gebruik de zoekbalk of klik op een perceel om informatie over het perceel te bekijken.