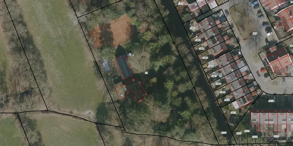
Perceel: BBG03-E-71
KadastraleKaart.com kan meer dan je denktOntdek meer ›
Filter op bestemming 50+ datasets Eigendomsdata in één klik Percelen CRM
5.485 m2 - 320 m
Eigenaar opvragen
BBG03-E-71 (Boornbergum)
- 9205 AM
L a2V6X5FGT7ZD3VUB4U3czE7dRtUpgrade naar KadastraleKaart Pro
Verkoopprijs opvragen
Bekijk op Street View
Download DWG/DXF/Excel
Yovy8Px1JN m vDCYnDUpgrade naar KadastraleKaart Pro
i8PdjQJgAlE2JH Ma0bC9agUpgrade naar KadastraleKaart Pro
VGXDGpGaa O5QUpgrade naar KadastraleKaart Pro
yeV6v7CHOIbha QLd L3R6Upgrade naar KadastraleKaart Pro
jn keQAgUpgrade naar KadastraleKaart Pro
gDnGil vdb mhQ4N 7DkUpgrade naar KadastraleKaart Pro
pns5 Cr Upgrade naar KadastraleKaart Pro
3qP2H7skB pepDBUpgrade naar KadastraleKaart Pro
KgHq2 sWFxl8 B csF Upgrade naar KadastraleKaart Pro
B aCF5Sw E98QImkIUpgrade naar KadastraleKaart Pro
22/11/2011

Percelen
Gebruik de zoekbalk of klik op een perceel om informatie over het perceel te bekijken.