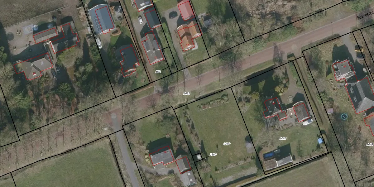
Perceel: BBG03-F-1022
KadastraleKaart.com kan meer dan je denktOntdek meer ›
Filter op bestemming 50+ datasets Eigendomsdata in één klik Percelen CRM
Geen adressen bij dit perceel
10.880 m2 - 1.506 m
Eigenaar opvragen
BBG03-F-1022 (Boornbergum)
- Geen postcode aanwezig
4dOnSfT ZqB3di5L gUpgrade naar KadastraleKaart Pro
Bekijk op Street View
Download DWG/DXF/Excel
zz PU B1oLH3cFKaPUpgrade naar KadastraleKaart Pro
qMYMAimefLfs9pJeEIuTUpgrade naar KadastraleKaart Pro
m0I0geTLrwYUpgrade naar KadastraleKaart Pro
kFfnjYiJlveWWlXMYKTZvUpgrade naar KadastraleKaart Pro
rEbmPIHRmQgGZdN8Upgrade naar KadastraleKaart Pro
07LxrLVfYL5 Upgrade naar KadastraleKaart Pro
T8 wuBAO04qIxgQgC PvMBcUpgrade naar KadastraleKaart Pro
GCRDPYs3Upgrade naar KadastraleKaart Pro
WiR cwbUpgrade naar KadastraleKaart Pro
w xPb RaBUpgrade naar KadastraleKaart Pro
30/04/2021

Percelen
Gebruik de zoekbalk of klik op een perceel om informatie over het perceel te bekijken.