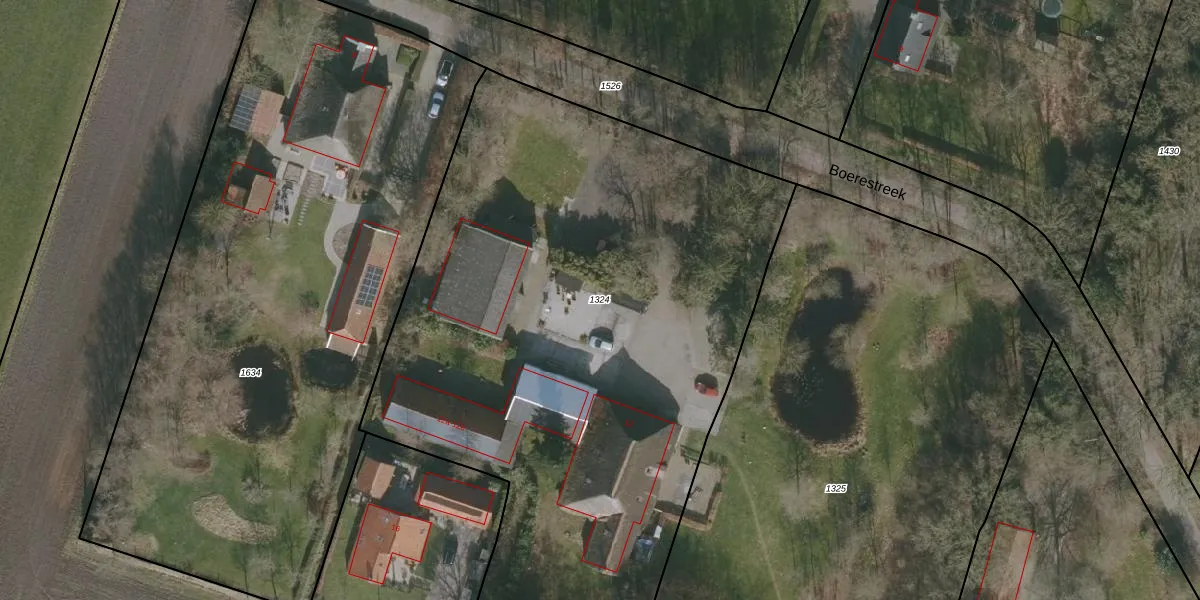
Perceel: BBG03-F-1324
KadastraleKaart.com kan meer dan je denktOntdek meer ›
Filter op bestemming 50+ datasets Eigendomsdata in één klik Percelen CRM
4.485 m2 - 291 m
Eigenaar opvragen
BBG03-F-1324 (Boornbergum)
- 9211 TV
K6vqdXc7LSE38YJgSUpgrade naar KadastraleKaart Pro
Verkoopprijs opvragen
Bekijk op Street View
Download DWG/DXF/Excel
jj2G6nkXUpgrade naar KadastraleKaart Pro
S 9yuyHh7efBA Upgrade naar KadastraleKaart Pro
mohOsDvGG7inZDd WIcL0HUpgrade naar KadastraleKaart Pro
46ZZxI 9d x Upgrade naar KadastraleKaart Pro
Zx9Mt4OhMTGUpgrade naar KadastraleKaart Pro
Z9iGqraZlUpgrade naar KadastraleKaart Pro
4qU2FGIXF6r384400VCUUpgrade naar KadastraleKaart Pro
QO5Nr l08q9Upgrade naar KadastraleKaart Pro
rKwO12zKsJvo8qmDjcUpgrade naar KadastraleKaart Pro
CtiE0T kwblUpgrade naar KadastraleKaart Pro
11/05/2005

Percelen
Gebruik de zoekbalk of klik op een perceel om informatie over het perceel te bekijken.