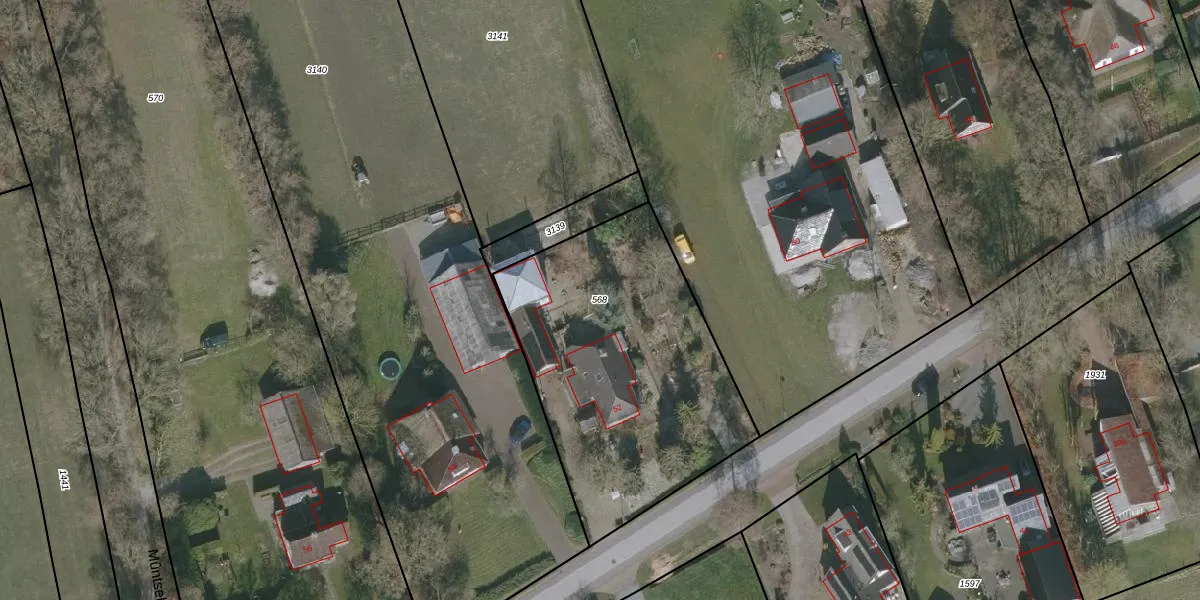
Perceel: BBG03-F-568
KadastraleKaart.com kan meer dan je denktOntdek meer ›
Filter op bestemming 50+ datasets Eigendomsdata in één klik Percelen CRM
1.410 m2 - 154 m
Eigenaar opvragen
BBG03-F-568 (Boornbergum)
- 9213 VG
f M jieTd1VPc 9WUpgrade naar KadastraleKaart Pro
Bekijk op Street View
Download DWG/DXF/Excel
y1qlP W8XG1AUpgrade naar KadastraleKaart Pro
w5QhzsUpgrade naar KadastraleKaart Pro
zZHK LaT TdRu5 Ua IUpgrade naar KadastraleKaart Pro
WroyJm3D Upgrade naar KadastraleKaart Pro
TB6VpLefUUpgrade naar KadastraleKaart Pro
hIPj 7gBvUpgrade naar KadastraleKaart Pro
JjneME hGUCBJKkWUpgrade naar KadastraleKaart Pro
eu2 EnVUpgrade naar KadastraleKaart Pro
kWl1zfkS Upgrade naar KadastraleKaart Pro
Ze44z 3qwyr7J2SzErVUpgrade naar KadastraleKaart Pro
13/11/2008

Percelen
Gebruik de zoekbalk of klik op een perceel om informatie over het perceel te bekijken.