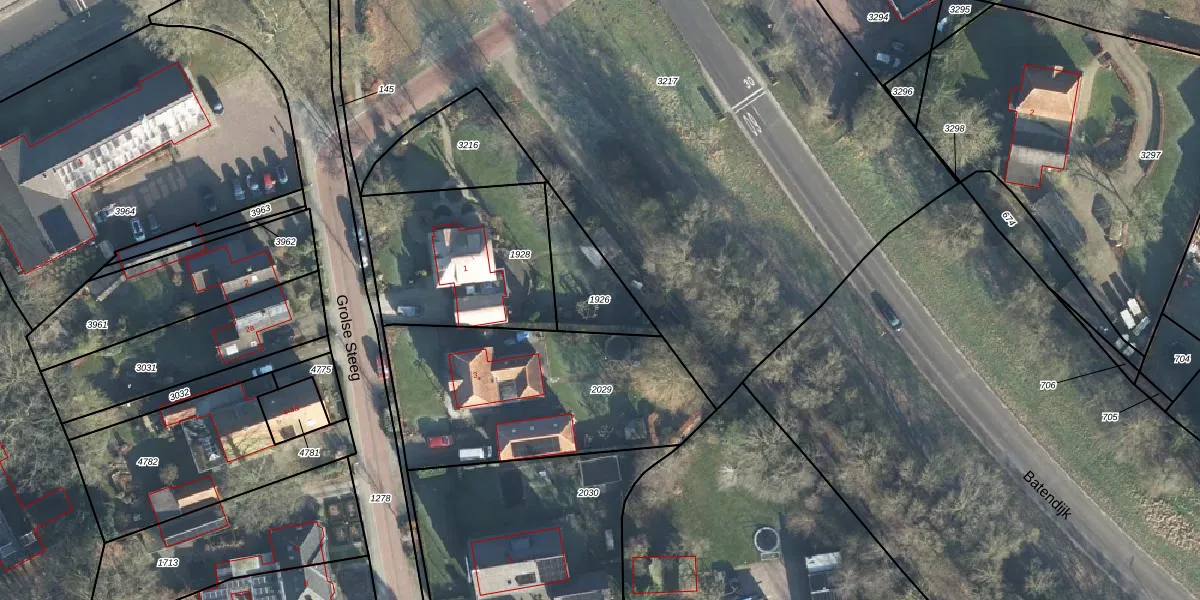
Perceel: BCL00-D-1926
KadastraleKaart.com kan meer dan je denktOntdek meer ›
Filter op bestemming 50+ datasets Eigendomsdata in één klik Percelen CRM
Geen adressen bij dit perceel
175 m2 - 75 m
Eigenaar opvragen
BCL00-D-1926 (Borculo)
- Geen postcode aanwezig
IVqZJcfdENS xgs Upgrade naar KadastraleKaart Pro
Bekijk op Street View
Download DWG/DXF/Excel
DUpK1vT dWUpgrade naar KadastraleKaart Pro
YutO89cne Upgrade naar KadastraleKaart Pro
MfQCEKTEme pFQ pVzUpgrade naar KadastraleKaart Pro
JkyPkC6aH88kUpgrade naar KadastraleKaart Pro
ljRI9VOTUpgrade naar KadastraleKaart Pro
PMAz0Q iwdiUrM 5 6WoUpgrade naar KadastraleKaart Pro
RTpxzcR8KuUpgrade naar KadastraleKaart Pro
Bj4jz 9CmgDFKka4GUpgrade naar KadastraleKaart Pro
vDaWiicAoUpgrade naar KadastraleKaart Pro
bx3fN2XpyX Hk paIGE0Upgrade naar KadastraleKaart Pro
19/04/2001

Percelen
Gebruik de zoekbalk of klik op een perceel om informatie over het perceel te bekijken.