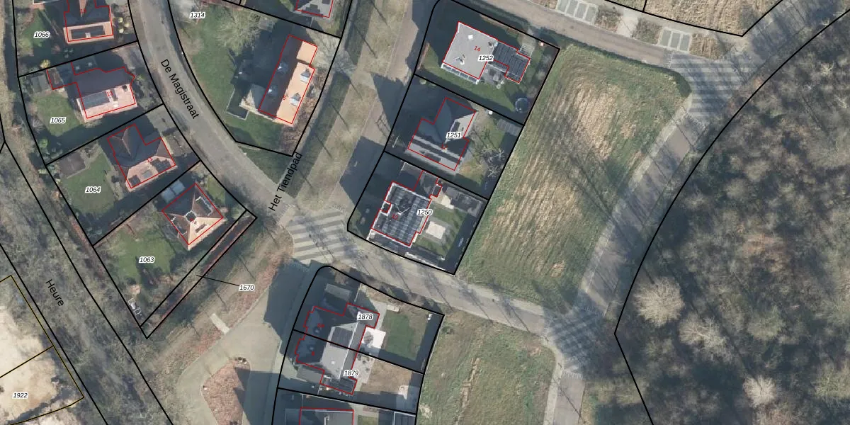
Perceel: BCL00-F-1250
KadastraleKaart.com kan meer dan je denktOntdek meer ›
Filter op bestemming 50+ datasets Eigendomsdata in één klik Percelen CRM
564 m2 - 94 m
Eigenaar opvragen
BCL00-F-1250 (Borculo)
- 7271 ZB
n11BRKyS9RFc3vKVxcw P9uUUm ERUpgrade naar KadastraleKaart Pro
Bekijk op Street View
Download DWG/DXF/Excel
JDgcHzQTV5 rC9 Upgrade naar KadastraleKaart Pro
F8aCOD8aASMeDUpgrade naar KadastraleKaart Pro
oRSV 8tm2V1ui L rUpgrade naar KadastraleKaart Pro
JpTGwCGXCUpgrade naar KadastraleKaart Pro
W evZuU2VXw hd s51pWT2oUpgrade naar KadastraleKaart Pro
W9rGG2OF 6pUpgrade naar KadastraleKaart Pro
xHM6YPYj7Bz7yXviDC lmUpgrade naar KadastraleKaart Pro
UU1I48pR5 YuUpgrade naar KadastraleKaart Pro
Oq4Nv qC7 CY 72a8tXN8Upgrade naar KadastraleKaart Pro
TaKrJI JkmFvUpgrade naar KadastraleKaart Pro
08/11/2010

Percelen
Gebruik de zoekbalk of klik op een perceel om informatie over het perceel te bekijken.