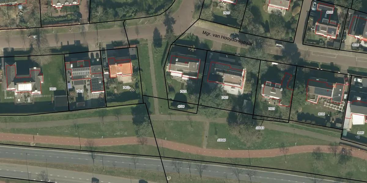
Perceel: BDA00-D-7921
KadastraleKaart.com kan meer dan je denktOntdek meer ›
Filter op bestemming 50+ datasets Eigendomsdata in één klik Percelen CRM
593 m2 - 98 m
Eigenaar opvragen
BDA00-D-7921 (Breda)
- 4817 JV
uennFStB hdF yR2uBdLB T7bzrTAi9Upgrade naar KadastraleKaart Pro
Bekijk op Street View
Download DWG/DXF/Excel
WHIM8cm8 f1q0 4hFuUpgrade naar KadastraleKaart Pro
tVHAIJLcXRJzUpgrade naar KadastraleKaart Pro
iVhepZ16cTqy32DUpgrade naar KadastraleKaart Pro
p4bNgHZEROIc6zpsLUpgrade naar KadastraleKaart Pro
Yc ap2N9QUpgrade naar KadastraleKaart Pro
am0R C2UhmfeUpgrade naar KadastraleKaart Pro
K v G0Dzc5Vca cphhbJ TUpgrade naar KadastraleKaart Pro
Ti193eDdzjvHNpUpgrade naar KadastraleKaart Pro
v41 G YEpUpgrade naar KadastraleKaart Pro
AzI21 eGbrT26sYBUpgrade naar KadastraleKaart Pro
19/10/2006

Percelen
Gebruik de zoekbalk of klik op een perceel om informatie over het perceel te bekijken.