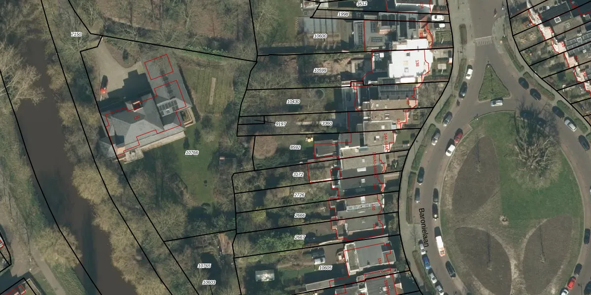
Perceel: BDA00-D-8592
KadastraleKaart.com kan meer dan je denktOntdek meer ›
Filter op bestemming 50+ datasets Eigendomsdata in één klik Percelen CRM
520 m2 - 129 m
Eigenaar opvragen
BDA00-D-8592 (Breda)
- 4818 RE
IUpCiQahs o7v 146tEZ ffx6asOftUpgrade naar KadastraleKaart Pro
Bekijk op Street View
Download DWG/DXF/Excel
ppg6JGEkKNCgzSe MIIMUpgrade naar KadastraleKaart Pro
u8bYf ipKAK Upgrade naar KadastraleKaart Pro
MpYMFeC6uUpgrade naar KadastraleKaart Pro
c 05FxEFNbujqF5npUpgrade naar KadastraleKaart Pro
0aFKAsg1yUpgrade naar KadastraleKaart Pro
TpjwAmjhN8BDLq3wUpgrade naar KadastraleKaart Pro
PzA4JpyFunq b1YtZGN2Upgrade naar KadastraleKaart Pro
8bzEb E jRsy Wv MUUpgrade naar KadastraleKaart Pro
YGpzT9ijwUpgrade naar KadastraleKaart Pro
OGYd3CzpS ha kUpgrade naar KadastraleKaart Pro
11/01/2012

Percelen
Gebruik de zoekbalk of klik op een perceel om informatie over het perceel te bekijken.