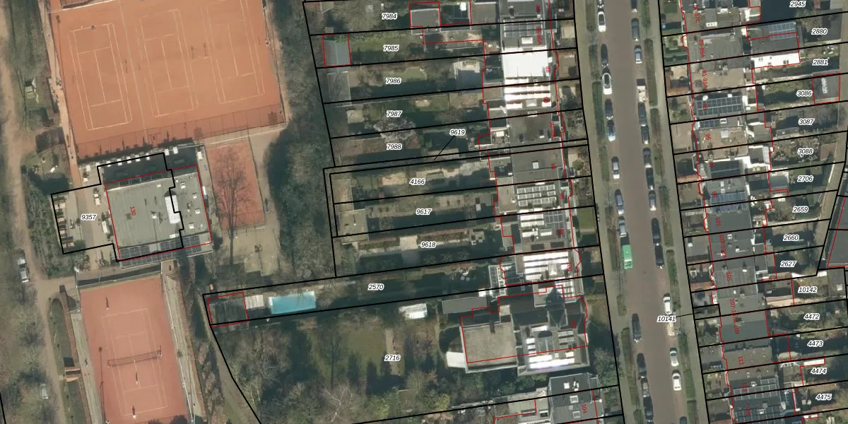
Perceel: BDA00-D-9617
KadastraleKaart.com kan meer dan je denktOntdek meer ›
Filter op bestemming 50+ datasets Eigendomsdata in één klik Percelen CRM
445 m2 - 137 m
Eigenaar opvragen
BDA00-D-9617 (Breda)
- 4818 RC
iPDzB UoB dMMfWOZ7w8QpEi2Upgrade naar KadastraleKaart Pro
Verkoopprijs opvragen
Bekijk op Street View
Download DWG/DXF/Excel
P IwC GaVjyXZT2QpUpgrade naar KadastraleKaart Pro
KJqxkir2OZOcQJUhSa9PUpgrade naar KadastraleKaart Pro
I2EGGGFEbBqE Q96Upgrade naar KadastraleKaart Pro
MI326wiPCdYn Upgrade naar KadastraleKaart Pro
bsb6aB7RCvKnANuUpgrade naar KadastraleKaart Pro
k PiqTWDSurMnEJFUUpgrade naar KadastraleKaart Pro
xBb0sCNXOiV5DD Upgrade naar KadastraleKaart Pro
KskLUXWZ3qNSUpgrade naar KadastraleKaart Pro
MG o a5VIs5IABzLiUpgrade naar KadastraleKaart Pro
G P6N yphlwyKkFYtuESUpgrade naar KadastraleKaart Pro
30/10/2006

Percelen
Gebruik de zoekbalk of klik op een perceel om informatie over het perceel te bekijken.