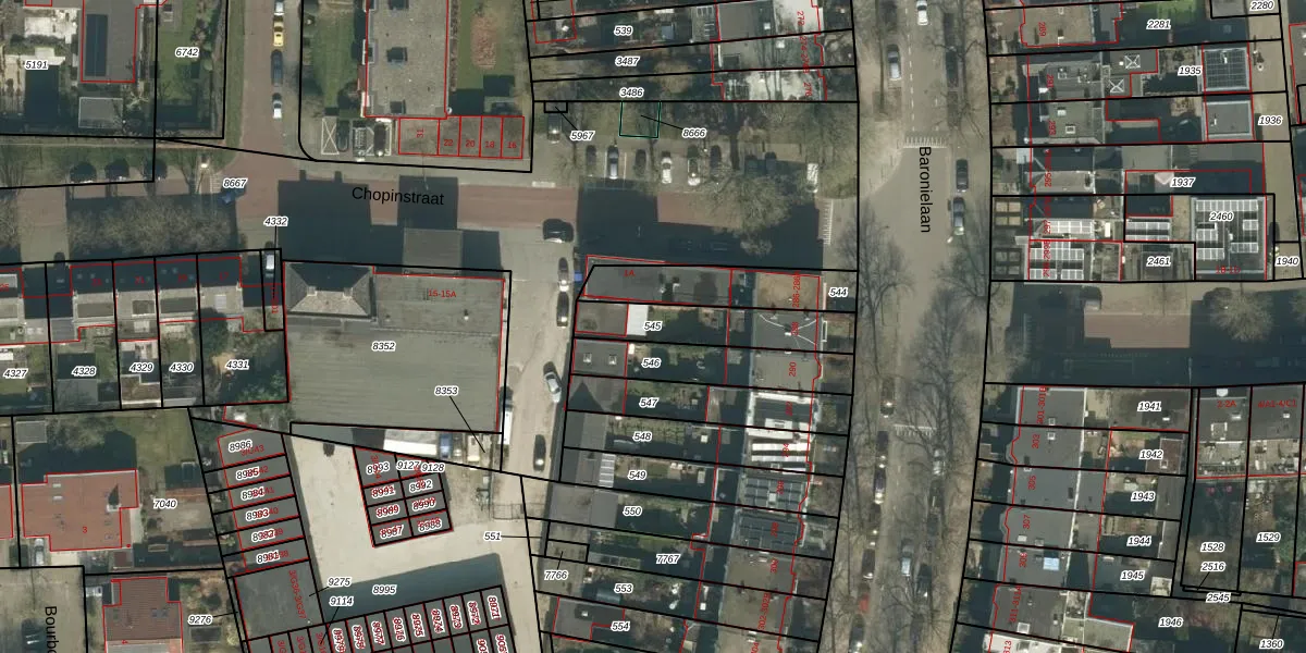
Perceel: BDA00-E-545
253 m2 - 98 m
Eigenaar opvragen
BDA00-E-545 (Breda)
- 4837 BH
o k46DGy 7xYF1kSQa YZtBrRTBiMUpgrade naar KadastraleKaart Pro
Verkoopprijs opvragen
Bekijk op Street View
Download DWG/DXF/Excel
FWR7QbAPC5Upgrade naar KadastraleKaart Pro
JoT8diU 4fx2C EMeBUpgrade naar KadastraleKaart Pro
ypUy37j gZQUpgrade naar KadastraleKaart Pro
C0UsnKupEUc0QmDXx70 rB2Upgrade naar KadastraleKaart Pro
YFL7FXoevUpgrade naar KadastraleKaart Pro
zdl3u4SzSOtEWuVr Ye9FujUpgrade naar KadastraleKaart Pro
8i2Kb7q0ejcSN 5OdJgFd Upgrade naar KadastraleKaart Pro
uOWQ6ZS7zPePUpgrade naar KadastraleKaart Pro
yBMRX4KO4oO9SL6Upgrade naar KadastraleKaart Pro
DwZOM42 hpGUpgrade naar KadastraleKaart Pro
25/10/2006

Percelen
Gebruik de zoekbalk of klik op een perceel om informatie over het perceel te bekijken.