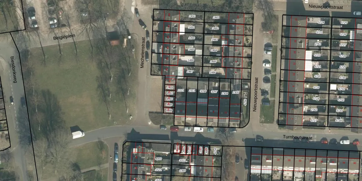
Perceel: BDA00-G-2221
KadastraleKaart.com kan meer dan je denktOntdek meer ›
Filter op bestemming 50+ datasets Eigendomsdata in één klik Percelen CRM
166 m2 - 67 m
Eigenaar opvragen
BDA00-G-2221 (Breda)
- 4826 KD
2S2Azci www8OoGIKUpgrade naar KadastraleKaart Pro
Bekijk op Street View
Download DWG/DXF/Excel
ju2 LkkERDhJ AxvzmgFUpgrade naar KadastraleKaart Pro
CHGJcdK OCGqPtFtUpgrade naar KadastraleKaart Pro
9A Ww CsQ7HUpgrade naar KadastraleKaart Pro
cpLO eofmhS5sfUpgrade naar KadastraleKaart Pro
s01AFbSP0PQK2lgZn SAXMmUpgrade naar KadastraleKaart Pro
YUl5TYcm3AwYqctUpgrade naar KadastraleKaart Pro
KyZITEymnOfb7G6AMUpgrade naar KadastraleKaart Pro
e4YHEo4 KlUpgrade naar KadastraleKaart Pro
Nx5dmRWBRkl0 9Upgrade naar KadastraleKaart Pro
UB1IwlF 499wBTR SJGFOLIUpgrade naar KadastraleKaart Pro
01/10/2025

Percelen
Gebruik de zoekbalk of klik op een perceel om informatie over het perceel te bekijken.