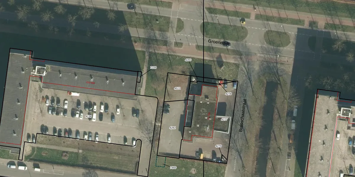
Perceel: BDA00-G-4511
KadastraleKaart.com kan meer dan je denktOntdek meer ›
Filter op bestemming 50+ datasets Eigendomsdata in één klik Percelen CRM
Geen adressen bij dit perceel
205 m2 - 57 m
Eigenaar opvragen
BDA00-G-4511 (Breda)
- Geen postcode aanwezig
qQtt5rAhs0HNVxG5oUpgrade naar KadastraleKaart Pro
Bekijk op Street View
Download DWG/DXF/Excel
Gxw1u 5nLVVtkWodl8wWlz3Upgrade naar KadastraleKaart Pro
qwWRqU5voDCUpgrade naar KadastraleKaart Pro
u RV 9ThDYucue6wRCZsYRUpgrade naar KadastraleKaart Pro
aZuAK02 OUpgrade naar KadastraleKaart Pro
kOmdSrMn9O3 K Z4tlAyI2tUpgrade naar KadastraleKaart Pro
JugSfXIpwtzuvye7sOUpgrade naar KadastraleKaart Pro
w9nLg J7XUpgrade naar KadastraleKaart Pro
PPvzweyoUpgrade naar KadastraleKaart Pro
e z3CiCQxaUpgrade naar KadastraleKaart Pro
J60TzxzLuNeRUpgrade naar KadastraleKaart Pro
01/11/2011

Percelen
Gebruik de zoekbalk of klik op een perceel om informatie over het perceel te bekijken.